19 May 2023
JC
12:48
Jloup Charp
In reply to this message
Oui il va aller sous serre et devrais bien grimper il passera l'hiver prochain en intérieur et sera planté printemps 2024 je pense
P
17:30
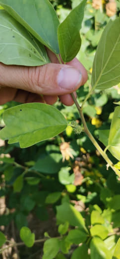
Philippe
In reply to this message
Et/ou ramiflore, non ?

Cf. la dernière photo d'illustration de ton article :
https://acclimatons.com/la-sapote-blanche-casimiroa-edulis/
BV
17:40
Benoit Vandangeon
In reply to this message
C'est exact. Les panicules florales peuvent apparaitre sur de jeunes rameaux et sur les charpentières. Généralement les fruits des charpentières ne tiennent pas.
17:41
17:42
Cauliflore fait référence au tronc et tige. Tige est un terme assez polyvalent...
F
17:44
Florian
In reply to this message
Merci
P
17:49
Philippe
In reply to this message
Dans ce cas il me semble que le terme réservé aux tiges principales.

Pour revenir à ta question, ce n'est pas flagrant dans la littérature...

Une mention :
« The flowers sometimes are cauliflorous (Batten 1984). »
Batten, D.J. 1979. White sapote, p. 171-174. In: Tropical tree fruits for Australia. Queensland Dept. of Primary Industries Information Series, Australia.

Source :
https://www.growables.org/informationVeg/GoldenberryNewCropPurdue.htm#WHITE_SAPOTE
BV
17:56
Benoit Vandangeon
17:59
P
18:02
Philippe
C'est rare de voir ça chez nous (en France métropolitaine), à part sur l'arbre de Judée !
BV
18:05
Benoit Vandangeon
In reply to this message
C'est la première année où je remarque ça il me semble, mon arbre fleurit depuis 4 ans je crois.
18:07
La figue fleur est cauliflore aussi parfois ? Un jeune figuier peut faire une figue sur son jeune tronc. C'est typique pour les boutures.
18:13
Hier, Yves Maccagno (botaniste auteur des 4 tomes Arbres remarquable du Gard), a été frappé par ce détail du Casimiroa edulis, nous avons rendu visite à quelques avocatiers de Nîmes...
18:18
18:18
Jeune bouture de figuier
BV
18:51
Benoit Vandangeon
A propos, Yves m'a parlé d'un figuier dans le Gard dont le diamètre fait un bon mètre.
Je me demande comment se situe celui du mas Depres comparativement ?
C
19:06
Camille
In reply to this message
Le mûrier fruitier aussi, c'est le cas du Mojo Berry ^^
P
19:26
Philippe
In reply to this message
Comme tu le sais, notre vénérable figuier (qui aurait été planté à l'époque de la révolution française) a 2 troncs principaux, distants à leur base de 70_cm, mais reliés par un « pont » :
- le tronc nord, à h~1,2_m, a un périmètre de 2,1_m, soit un diamètre moyen de 66,8_cm.
- le tronc sud, à h~1,5_m, a un périmètre de 1,9_m soit un diamètre moyen de 60,5_cm.

Donc plus petits que celui que tu évoques, sauf si on les prend ensemble.

NB: Ne disposant pas d'un compas forestier, j'ai pris des mesures avec un mètre-ruban.
Je n'ai pas réussi à mesurer à précisément 1,30_m de haut, car les branches m'en empêchent (en particulier la grosse charpentière cassée par le vent l'an passé, et coupée).
BV
19:30
Benoit Vandangeon
In reply to this message
Je suis allé voir mes mûriers pour voir si il y avait des fruits dur le tronc, mais ils n'ont pas cette caractéristique assez répandue chez les moracées.
19:31
In reply to this message
Merci pour ces mesures.
J'irai un jour rendre visite à ce vieux figuier gardois, je doute qu'il ait une couronne aussi etandue que celle du vôtre !
P
19:42
Philippe
In reply to this message
Couronne de diamètre moyen d'environ 20_m... (estimation grossière)
C
20:00
Camille
Je suis tombé sur un drôle de figuier bifère, ça parle à quelqu'un la forme de la feuille ?
20:00
20:00
20:00
20:00
20:00
BV
21:54
Benoit Vandangeon
Nîmes est en bonne voie pour voler à Marignane le triste titre de la station la plus sèche...
K
23:25
Kader
In reply to this message
C’est compliqué mais courage…. C’est frustrant surtout quand tu as découvert le fruit et que t’y as pris goût !
20 May 2023
V
13:10
Vincent
In reply to this message
Bien content d’avoir déménagé à Gap ^^
BV
13:23
Benoit Vandangeon
In reply to this message
😄
C
14:49
Camille
In reply to this message
Malheureusement avec le réchauffement de la mer méditerranée, ça ne va pas aller en s'arrangeant 😕
PH
16:17
Paul Houdet
Video file
Not included, change data exporting settings to download.
00:49, 8.4 MB
K
18:05
Kader
Après seulement 1 an de greffe, mes premières fleurs sur duke 7 à Paris!!!! 🥰🥰🥰🥰🥰🥰🥰🥰🥰

Ils ont passé tout l’hiver dehors !!
BV
18:41
Benoit Vandangeon
On vient de terminer l'atelier greffe de pistachier, si certaines vidéos sont bonnes je publierai un film
18:42
Très très instructif.
18:44
In reply to this message
C'est assez rare qu'un avocatier en pot fleurisse !
V
19:40
Vincent
In reply to this message
Le réchauffement de la mer Méditerranée va faire qu’il y aura plus d’eau dans le secteur ;)
BV
19:42
Benoit Vandangeon
19:42
En tout cas, la pluie n'a pas trop perturbé l'atelier 😪
C
19:47
Camille
In reply to this message
Ça c'est la théorie, dans un écosystème en bonne santé et diversifié. Dans la pratique, plus la mer se rapproche de la température des terres, moins c'est le cas. Un déficit de végétation cumulé à l'artificialisation des sols, amplifie d'autant plus le phénomène. Je t'invite à lire ceci.
K
21:15
Kader
In reply to this message
J’en ai 3 ou 4 comme ça qui on fleurit! Lamb Hass, Duke et Reed!
BV
21:21
Benoit Vandangeon
Lamb Hass avait claqué chez moi. Un peu plus fragile que hass il me semble ?
Reed je suis pas très fan personnellement.
K
21:23
Kader
In reply to this message
Je ne sais pas ce qu’il faut en tirer comme enseignement mais nous de l’autre côté de la mer, depuis 2 ans les pluies sont en retard !

Les dernières pluies ici arrivent mi mai et après plus une goutte jusqu’au septembre au moins à part quelques orages.

Depuis 2 ans plus de pluie au printemps (au jardin en hiver on plante fèves, pomme de terre, petits pois, oignons sans jamais arroser), cette année j’ai du arroser et j’ai pas pu continuer à cause de la chaleur jusqu’à 37°c (et tout à crevé sauf les oignons qui vont être chétifs). J’en avais trop impossible de faire ça au tuyau d’arrosage !

J’avais semé des cover crops (sorgho, avoine, vesce et alfalfa) tout était en état de survie en ayant germé sans jamais vraiment pousser.


Vu la date j’avais fait une croix sur la pluie, mais depuis une semaine c’est pluie non stop…. Et c’est parti pour durer !

A cette période de l’année on fauche le fourrage mais la impossible!

L’année dernière on me disait qu’il faisait tellement frais qu’on avait ressorti les couvertures pour dormir jusqu’à au moins mi / fin juin! Du jamais vu….

Après pour être honnête je vais pas me plaindre même si on est retourné au mois de mars!

Je ne sais pas ce que ça présage pour l’avenir et je suis curieux de voir comment la végétation va s’adapter ou pas !
V
21:45
Vincent
In reply to this message
L’évaporation générée par une eau plus chaude et l’augmentation de la temperature de l’air augmente physiquement la quantité d’eau que peu transporter la masse d’air; alors le problème dans le Gard ce n’est pas tant la quantité d’eau annuelle qui va aller en augmentant avec le réchauffement climatique mais c’est plutôt la répartition des pluies sur l’année… or dans le Gard ça tombe très fort a l’automne/ hiver puis apres plus rien ^^
21 May 2023
F
09:23
Florian
Petite question, est ce que les avocatiers craignent l'air salin? J'aimerais essayer de planter un avocatier, le terrain est à 50 mètres de la mer avec des murs autour en Vendée
P
10:26
Pierre Berlan
Manquait plus que ça😱
7p
10:44
73203 ppmimcs
In reply to this message
Et dans le Gard près d'Alès, il pleut comme vache qui pisse juste le jour où je pensais planter mes tomates ! Rrrrrhô, jamais content... 😊
C
12:01
Camille
C
Camille 21.05.2023 11:57:53
Hello, si jamais ça intéresse du monde un jour, petit partage de l'intégration d'un système d'irrigation connecté open source, au menu, accessible depuis n'importe où dans le monde, gestion fine de l'irrigation via programmation de l'allumage des pompes via prises connectées et des lignes via electrovannes, prise en compte de la météo actuelle et prévisions météo, prise en compte de la pluie sur le moment avec un capteur de pluie, ainsi que de l'humidité dans le sol, puis rajout d'une caméra par la suite. 🙂
Le tout accessible depuis un ordinateur et une application sur téléphone.
12:01
12:01
12:01
12:01
12:01
12:01
12:01
12:01
12:01
12:01
12:01
12:01
12:01
12:01
12:01
12:01
Le tout fonctionne conjointement sous Linux (Debian), Opensprinkler, et Home Assistant.
BV
13:28
Benoit Vandangeon
La saison des mûres est officiellement ouverte à Nîmes 😋
T
14:18
Thierry BOCCARD
À Rouffiac, celle des mûres (mûriers) fourni par Sebtan, aussi. Elles sont fades faute au manque de soleil
14:20
Les camerises sont acides mais bien charnues suite aux pluies fréquentes ces dernières semaines
BV
17:17
Benoit Vandangeon
In reply to this message
Et que devient ton mûrier super hâtif ?
17:20
C
17:22
Camille
C
Camille 21.05.2023 17:16:11
17:22
Animation
Not included, change data exporting settings to download.
4.7 MB
Petite preuve de concept avec une lampe à la place d'une pompe
17:22
La prise est connectée par wifi au Raspberry Pi
17:22
Video file
Not included, change data exporting settings to download.
00:51, 10.4 MB
17:22
Et là l'application mobile pour s'y connecter.
BV
17:22
Benoit Vandangeon
Première fleur de cherimoya qui s'ouvre, j'ai récolté un tout petit peu de pollen blanc ...
17:24
In reply to this message
C'est énorme !!!
C
17:30
Camille
In reply to this message
Merci, je viens de passer du temps pour l'assemblage de tout ça, j'ai pris des photos au fur et à mesure, je pense proposer un tutoriel complet sur mon blog.pepinature.com et l'encyclopédie pepinature.org, à terme.
Je n'ai pas encore terminé, il me faut récupérer des prises pour brancher l'alimentation 24v, tirer le câble d'alimentation générale, récupérer des rallonges de câbles pour les capteurs d'humidité et les électrovannes, et fixer l'armoire électrique sur une palette ! :)
Faudrait également que je regarde s'il sera possible d'y relier un débitmètre, aussi...

Techniquement c'est dingue, on peut rajouter avec l'extension du module OSPi jusqu'à plusieurs centaines de zones/électrovannes, et il y a également une extension pour profiter de davantage de capteurs.
17:31
Il ne manque qu'un module de prévision basé sur Météociel
17:32
Celui là c'est sur météo France
BV
17:32
Benoit Vandangeon
In reply to this message
Tu peux faire un spectacle aquatique avec tout ça 🌊
C
17:33
Camille
In reply to this message
Clairement 😂
Ça pourrait servir pour beaucoup d'autres usages, même artistiques (et en synchro avec de la musique), que l'irrigation ^_^
17:34
Côté tarifs :

Carte Sd 32Go : 4€ sur aliexpress

Raspberry Pi Zero 2w : 25€

Alimentation 230v > 24v ac 4,16A : 50€

Opensprinkler Pi (OSPi) avec reduc: 59€
Deuxième OSPi : 78€

Armoire ip65 400 x 600 x 200 : 69€

Serrure pour armoire ip65 : 7€ (j'en ai pris deux)

Capteur de pluie : 40€

Capteur d'humidité unité : 60€ (j'en ai pris deux)

Electrovanne 24vac : 22€ (j'en ai pris deux)

10 connecteurs étanches : 8€

Router 4G LTE : 170€ (je l'avais déjà)

Caméra 180° 5mp wifi : 28€

Adaptateur micro usb vers usb : 5€ (j'avais déjà)

USB vers ethernet : 10€ (j'avais déjà)

Les deux derniers ne sont pas obligatoire si on préfère utiliser le wifi, mais le filaire étant plus fiable, je ne prend aucun risque.
17:34
Il y avait toute la quincaillerie fournie avec le pack lors de l'achat, également.
L
19:53
Lancelot
T’es electrovanne sont sur pile? Comment tu l’es relié à ton installation ?
C
20:29
Camille
In reply to this message
Les électrovannes sont filaires et fonctionnent en 24v sur courant alternatif, un fil sur le port com, un fil sur le port 1 à 8 selon la station paramétrée dans OpenSprinkler :-)
20:31
20:31
20:35
Pour celui qui observera la qualité moyenne des finitions du boîtier plastique de l'OSPi, sachez que ce dernier a été fabriqué avec une imprimante 3D. 😉
B
20:57
Boris
Félicitations pour tout ce que tu fais Camille et tout ce que tu mets en place ! Chapeau ! Je comprends ta démarche vu que tu souhaites devenir pro et bien qu'étant très bricoleur et avoir touché du fer a souder , j'aspire a plus de simplicité et de low tech , je pense que je vieillis 😅
L
21:00
Lancelot
In reply to this message
Solem fait des choses qui se rapproche de ça aussi
C
21:07
Camille
In reply to this message
Je suis d'accord, d'un point de vue personnel, c'est aussi le cas, mais en pro, je ne peux pas me permettre de ne pas songer à l'automatisation et la surveillance à distance. Cette installation va me faire gagner un temps de dingue, automatiser tout l'arrosage, et en prime, me permettre de gérer la surveillance et la sécurité en filmant le lieu où sont les plants.
Je suis également motivé par des contraintes d'éloignement en période de vacances en été. Au final ça sera énormément de temps gagné sur l'activité.
21:08
In reply to this message
Effectivement, mais ça reste limité niveau fonctionnalités, et surtout, le fonctionnement et support dans le temps dépend du bon vouloir de l'entreprise qui commercialise ça. Je tenais vraiment à avoir de l'open-source pour m'assurer un support et une interopérabilité entre les diverss logiciels sur une très longue durée.
Par contre, forcément, ça implique de mettre les mains dans le cambouis, mais ici, la partie communication sur internet ne transite même pas par le serveur d'une entreprise, tout se fait en réseau privé virtuel.
L
21:11
Lancelot
Vu comme ça c’est interessant, de mon côté mes électrovanne sont sur pile donc c’est pas envisageable à moins de réinvestir mais il faudrait enterrer du cable aussi
C
21:12
Camille
In reply to this message
Je comprends mieux ! Pour ma part je ne compte pas enterrer quoi que ce soit, j'installerais à terme ce qu'on appelle une ombrière déchaînée.
Tout sera en aérien, sauf pour les asiminiers, qui peuvent pousser même les pieds dans l'eau.
21:13
Quand j'aurais le temps, j'essaierais de bosser sur un mix entre ce système, et une sorte d'aquaponie autonome sans devoir nourrir les poissons. J'ai des gambusies en bacs de récupération d'eau qui vivent en toute autonomie en se nourrissant des moustiques et leurs larves, et ce qui leur tombe dessus le cas échéant.
K
23:06
Kader
In reply to this message
En hiver ? Non je crois même qu’il est plutôt plus rustique que Hass!
23:08
In reply to this message
Alors c’est pas tant l’air que le sel que les embruns peuvent déposer ! J’ai peur que le sol en soit plein … après autour de malaga faute de place dispo et face à la demande ils plantent très près de la mer parfois à peine à 50m, mais peut être utilisent ils des pg de race antillaise qui sont parfois dispo
23:09
In reply to this message
J’ai moi aussi une ou deux fleurs qui arrivent sur mon cherimoya!!!
23:11
22 May 2023
F
04:51
Florian
In reply to this message
Cela m'intéresse
F
07:13
Florian
In reply to this message
Et le duke 7 vous l'avez semé ou acheté en plant? J'ai cherché à acheter juste le porte greffe duke 7, la plupart du temps il est greffé avec du Hass ou autre
K
09:53
Kader
Non je l’ai greffé grâce à un contact espagnol qui m’en a donné des greffons

Ils ne sont pas vendus sans greffe mais il suffit en effet de faire sauter le greffon EN HIVER (j’insiste sur le en hiver) pour qu’il reparte du pied
BV
12:23
Benoit Vandangeon
In reply to this message
Avez-vous déjà goûté le duke7 ? J'ai vu une vidéo d'un vieil arbre, il semblait porter peu de fruits.
JF
12:27
Johan F
Salut à tous
J'ai remarqué cette chose qui s'est développée sur la base du tronc d'un de mes avocatiers. Le plan est pourtant très joli, un autre plant à côté semble aussi touché, savez vous de quoi il s'agit ?
K
12:41
Kader
In reply to this message
Il faut toujours prendre soins d’écarter le mulch/paillis du tronc pour éviter l’apparition de chancre et autres joyeusetés a la base du tronc

C’est pas très joli mais ça a l’air d’avoir cicatrisé !
12:44
In reply to this message
Le duke 7 non…. Enfin le duke tout court non mais certains ont retrouvé en Californie du Nord l’ancêtre du duke 7 qui donne un fruit un peu similaire a du fuerte avec un relativement moyen / gros noyau peau fine vert clair !

Le goût avait l’air intéressant selon l’ auteur perso je me méfie des évaluations gustatives des youtubeur

En tout cas si j’arrive à avoir un fruit sur le mien…. Je vous dirai 😆😆😆
Y
12:53
Yan
In reply to this message
🤞🤞 Tu nous diras ce que sa donne en qualité 👍
BV
17:43
Benoit Vandangeon
This avocado tree was found by chance growing on my allotment plot in SE England in June 2018, as a 20 cm high stubby seedling. It originated from a 'Hass' seed, inadvertently thrown out with kitchen waste. - Imgur
https://imgur.com/a/5gflnlU
K
18:10
Kader
In reply to this message
Celui ci contrairement à tout ceux qu’on a pu voir pousser en ville à l’air d’être au milieu de nulle part donc pas de triche : il ne reçoit pas la chaleur qui peut s’échapper d’une habitation!!!

C’est assez impressionnant !
Y
19:52
Yan
In reply to this message
Il et pas loin de la mer aussi.
BV
20:43
Benoit Vandangeon
Jackfruit en Italie
P
20:56
Philippe
In reply to this message
Wow ! Et ça peut y fructifier tu penses ?

Je veux dire : faire pousser un jacquier dans une zone hors gel, je conçois.
Mais les conditions sont-elles réunies pour les fruits ?
BV
21:01
Benoit Vandangeon
In reply to this message
Certains sont en train de fleurir, réponse dans quelques mois ?
C'est au sud de Reggio, j'estime que selon les années c'est équivalent à la Costa Tropical.
Excepté que la pluie n'est pas impossible en été.
A mon avis, ce challenge que se sont fixés les italiens est relevable, j'espère qu'ils ont mis une variété hâtive...
21:02
In reply to this message
En tout cas bien exposé et protégé !
21:03
D'autres jacquiers sont plantés en Calabre...
BV
21:28
Benoit Vandangeon
A propos Camille, j'ai goûté ma première et seule mûre Giant Pakistan. Correcte, le fruit petit et noir probablement sous-développé ?
C
22:15
Camille
In reply to this message
Possible, c'est supposé faire de beaux fruits tout de même...
Ceci dit, le manque d'eau ne doit rien arranger
K
23:09
Kader
In reply to this message
Le goût me faire penser aux abricots au sirop !!! La texture pr contre rien à voir j’ai l’impression de manger de la viande !!! J’adore ce fruit qu’il soit mûr ou pas!! C’est vraiment agréable à manger
23:12
Dites, vous aviez déjà remarqué l’odeur des grappes de raisin en fleur ??

Ça fait quelques fois qu’en passant devant je suis frappé par l’odeur de fleur fraîche, un peu comme l’odeur du troène, et que je cherche d’où ça peut provenir sachant que je ne plante pas (beaucoup) de fleurs chez moi!

Jusqu’au moment où j’ai compris que c’était la vigne…. C’est super agréable mais j’avais jamais remarqué !!
23 May 2023
C
01:42
Camille
La puissance du truc... On peut tout programmer, de A à Z... Avec une simple interface, ou directement en fichier de configuration !
01:42
T
10:33
Thierry BOCCARD
10:34
Un des premiers fruits du verger pour l'année 2023
C
11:52
Camille
In reply to this message
Les mûres de morus sont très en avance cette année 😁😊
C
12:27
Camille
@Philibre tu ne m'avais pas répondu, du coup tu vas te faire un système comparable ? 😁
Je suis tombé sur un projet de pluviomètre sympa, intégrable à home assistant, aussi, si ça t'intéresse ^^
BV
17:06
Benoit Vandangeon
Video file
Not included, change data exporting settings to download.
00:06, 888.9 KB
Enfin !!!
BV
17:23
Benoit Vandangeon
Il s'agit d'une zone mince : au nord et au sud j'aperçois un ciel dégagé, pour une fois je suis en plein dans le mille !
GP
19:31
Gabriel Pays basque
Le jamelonier quelqu'un connaît ?? un ami d'Espagne peut m'en prendre un. Il me dit que ça tient le gel...
BV
19:54
Benoit Vandangeon
In reply to this message
Le fruit est comment dire... Rafraîchissant ! (Comprendre fade pour la plupart et un peu sucré pour certains).
Belle floraison.
19:57
En général, j'envoie des cartes où Nîmes a échappé à la pluie ! Ici on a bien été arrosé, même si au mazet c'est probablement plutôt 15 mm ..
20:00
In reply to this message
S'il peut te ramener de la sapote verte ou sapote Ross, je pense que tu gagnerais au change !
GP
22:06
Gabriel Pays basque
In reply to this message
Je lui en parle 👍
24 May 2023
C
12:45
Camille
Un petit mot sur des statistiques de reprise des cerisiers que j'ai eu... Elles sont faussées pour cette année.
J'ai un très fort taux de mortalité des portes greffes (merisiers), je ne sais pas ce qu'il s'est passé, mais je vais essayer autre chose chez un autre fournisseur l'année prochaine...
12:45
12:46
Ce n'est pas normal qu'il y ait autant de merisiers qui sèchent comme ça sur pied, en plus c'est supposé être costaud.
B
13:13
Boris
Ça vaudrait le coups de faire tes propres semis directement en pot juste après la récolte !? Et comme ça tu greffes l'année d'après en septembre sur un PG au top 👍
13:17
Deleted Account
Bonjour, petite question, vous avez déjà vu des Murier blanc monoique❓
P
14:07
PermaPhil
In reply to this message
Slt, ils le sont tous ou presque... Très rarement dioïques.
C
14:21
Camille
In reply to this message
Bonne question... Le problème c'est qu'en allant prendre du merisier au hasard pour faire ses semis, on peut avoir des résultats très hétérogènes... Même les portes-greffes vendus par des pépinières spécialisées, issus de semis, sont des sélections homogène et fidèles de semi...
L'année prochaine, je prendrais du Furtos, issu de reproduction in vitro, chez un fournisseur plus soigneux.
Ça me coûtera plus cher, mais bon...
P
17:41
PermaPhil
In reply to this message
Tu les as pris chez qui ? Tu ne peux les faire qu'en pots ?
7p
17:42
73203 ppmimcs
In reply to this message
Que pensez-vous du prunus mahaleb comme pg pour le cerisier ?
JC
17:45
Jloup Charp
Chez il pousse a l'état naturel sur coteau calcaire
B
17:48
Boris
Hétérogène ... Oui je trouve ça génial justement ! Tu auras des petits , des grands, des super vigoureux , des moins vigoureux, il faut ré apprendre au consommateur a avoir un arbre unique et différent des autres . Perso je suis contre le clonage en série de PG😜
17:49
Et les racines ? Entre le bouturage et la les racines produites par la graine c'est pas.pareil pour la réussite de l'arbre je trouve
P
17:50
PermaPhil
In reply to this message
Bien mais pour sol calcaire
17:50
Deleted Account
In reply to this message
Ah bon ❓

Je n’ai vu aucunes fleurs mâles sur mes femelles pourtant…
P
17:55
PermaPhil
In reply to this message
C
18:01
Camille
In reply to this message
Dans la théorie je suis d'accord. Dans la pratique, en tant que pro, tout ce que la société te demande avant même d'avoir gagné le moindre euro t'oblige a viser la performance technique et économique.
Si le consommateur boude ce que tu proposes, et/ou que tu ne vends pas assez, tu t'endettes. La sécurité sociale notamment, ne te lâchera pas les basques même si tu fermes.
J'ai des idéaux aussi, mais depuis que je me forme et me projette comme entrepreneur, je me suis bien aperçu que pour faire quoi que ce soit de novateur il faut commencer par s'aligner et avoir de la trésorerie, pour pouvoir prendre des risques par la suite.
Et quand ton salaire (je ne me paierais pas avant au moins 2025, et tout ce que je gagne part dans l'investissement) dépend en plus de ça, et par extension, ta famille...
18:06
Déjà, je fais mes semis d'asiminiers, Poncirus, Virginiana... Après on verra.
B
18:10
Boris
Je comprends la problématique mais il faut parfois faire ce que les autres ne font pas . Perso j'ai déjà vendu des dizaines d'arbres dans une asso , du semis d'arbres en bonne santé et productifs en expliquant que quand l'heure viendra (dans 2 ans) je pourrais venir greffer l'arbre sur leur terrain . C'est sur que c'est difficile d'en faire une activité rentable directement mais des gens m'ont même dit que ce n'était pas grave s'il n'était pas grzffé , ça fera de la.biodiversite ! Dans ce cas tu peux faire de la vente par internet et ça peut devenir rentable car les semis c'est le truc le plus rentable !
19:33
Deleted Account
In reply to this message
Donc en faite ils peuvent être monoiques et dioiques de ce que je comprends, tu as l’adresse du site s’il te plaît ❓C’est au petit bonheur la chance.
K
19:48
Kader
In reply to this message
Super résistants à la sécheresse ! J’en ai planté en décembre (je suis en Algérie) on n’a pas eu de pluie pendant 2 mois avec des températures qui tournent autour de 25°c et des pointes a 37, sur un coteau exposé Sud Ouest…. Ils sont toujours là! Ils n’ont pas poussé fort mais les feuilles sont encore vertes…

Je les ai eu dans des petites pots longs ils ne devaient pas être très vieux (1 ou 2 ans a tout casser)

Le développement est un peu moindre que lorsque le cerisier est greffé sur merisier (mais qui a besoin d’un arbre de 10m de haut?)

Attention il est très sensible à l’asphyxie racinaire
7p
19:59
73203 ppmimcs
In reply to this message
Oui par ici aussi... pas mal de pépiniéristes proposent les cerisiers sur les deux, en fonction du sol chez l'acheteur.
Comment se comporte le ste Lucie sur un sol pas trop calcaire selon votre expérience ?
Chez moi c'est argilo-calcaire, les merisiers de semis crèvent souvent à l'âge où ils commencent à mettre à fruits. J'ai eu un burlat/merisier...il avait l'air de vouloir bien vivre mais j'ai dû le supprimer en raison de travaux de maçonnerie. Puis j'en ai mis deux autres : Noire de Meched et Reverchon sur ste Lucie. Le premier a crevé avant la mise à fruits. Le Reverchon fait la gueule et n'a pas du tout aimé l'été 2022. Juste à côté j'ai mis un pg ste Lucie non greffé dans une haie. Il pousse terriblement bien et il est couvert de fruits. Les oiseaux vont se régaler... et moi j'y perds mon latin !
C
20:01
Camille
In reply to this message
Le Sainte Lucie d'expérience, est au petit bonheur la chance, les affinités me semblent hasardeuses...
20:02
Deleted Account
In reply to this message
Je te remercie.
C
20:03
Camille
C'est pour ça que je m'interesse au furtos, tout terrain, même sols pauvres et secs... Et excellente affinité ! Le tout avec un long recul du CTIFL
Accessoirement il est nanifiant, aussi.
BV
20:37
Benoit Vandangeon
In reply to this message
Bonne affinité avec le cerisier Blanchard, par exemple.
20:39
25 May 2023
BV
10:21
Benoit Vandangeon
Malgré le fait qu'il ne se plaise pas du tout dans cette terre calcaire, le litchi fleurit pour la deuxième année...
P
11:12
PermaPhil
In reply to this message
C'est le kway may pink ? Il s'est pris combien au plus froid ?
BV
11:25
Benoit Vandangeon
c'est donné à -5. Je ne lui ai pas encore servi cette température 😁
P
12:10
PermaPhil
Le mien est sous serre, trop jeune pour sortir !
BV
12:12
Benoit Vandangeon
In reply to this message
Et c'est bien le Kway may pink.tu as un sol calcaire ?
P
12:14
PermaPhil
Le mien aussi. Non sol neutre limoneux et pauvre
C
13:01
Camille
Premières mûres du Mojo Berry cette année 😁
13:01
13:01
13:02
Video file
Not included, change data exporting settings to download.
00:22, 8.2 MB
Par contre... Qui sait lequel c'est ?..
13:03
P
13:35
Philippe
In reply to this message
Ça sort d'une mûre ?
C
14:20
Camille
In reply to this message
Oui, il y en a eu deux dans un seul fruit
14:22
Ça m'a tout l'air de ressembler à une larve de drosophila suzukii non ? :(
P
14:45
Philippe
In reply to this message
C'est un asticot de mouche, reste à savoir laquelle.
Quelle longueur faisaient-ils ?
C
14:45
Camille
In reply to this message
pas plus de un ou deux mm, très petit
14:45
Et le fruit était sain
P
14:46
Philippe
« Identifier les larves de la mouche suzukii

Les larves Drosophila suzukii sont plus petites que celles de la mouche de la cerise, elles mesurent de 0,5 à 3,5 mm et sont de couleur blanche. Elles possèdent des stigmates postérieurs en prolongement de l’abdomen qui forment une excroissance bien visible. On peut également voir clairement qu'elles sont munies de deux crochets buccaux de couleur noire.

(Les larves de la Rhagoletis cerasi [mouche de la cerise] se présente sous la forme basique d’un asticot blanc. Elle mesure de 4 à 6 mm de long à son plein stade de développement. )»

Source : https://mouche-suzukii.fr/identification-de-la-mouche-suzukii.htm
C
14:55
Camille
🫡😐
14:56
Fichue bestiole, elle arrive de plus en plus tôt...
14:56
La bonne nouvelle, c'est que ça ne devrait pas être galère d'installer un filet, le Mojo Berry étant de taille contenue.
C
17:17
Camille
Video file
Not included, change data exporting settings to download.
03:16, 72.1 MB
BV
18:54
Benoit Vandangeon
In reply to this message
👍
26 May 2023
7p
06:31
73203 ppmimcs
Morus Alba Kokuso 27
06:35
Je n'en ferai pas mon fruit préféré, mais c'est pas si mal... rien à voir avec les petites blanches de ma cour d'école ! Celles tombées au sol sont rose foncé avec un petit goût acidulé.
06:37
BV
09:01
Benoit Vandangeon
Belles photos de mûres, c'est pas évident à photographier car c'est généralement des fruits à l'ombre.
Ton Alba Kokuso 27 il est réputé pour ses fruits, ou pour autre chose ?
7p
09:44
73203 ppmimcs
In reply to this message
Sincèrement, quand je l'ai pris chez Frédéric Cochet, je n'avais aucune idée du fruit, à part que je n'aime pas les petites blanches. Sa fonction première était de faire de l'ombre aux poules.
L'an dernier j'ai loupé les fruits (quelques dizaines) et les poules s'en étaient régalées. Cette année il y a beaucoup de fruits et je teste...
Un vague souvenir : il le semble que cette variété est appréciée pour la sériciculture.
09:56
Je réfléchis à en mettre un autre qui pourrait m'apporter de l'ombre et dont les fruits seraient bons... non, exceptionnels !
C
10:23
Camille
Les mûriers dans les poulaillers sont un super complément pour les poules... Ils ombragent fortement, tiennent le sec, nourrissent... Les poules de ma compagne sont folles de celles du Mojo Berry, et vu comme il est facile à bouturer, et remontant, je me tâte à leur faire un petit sous bois de plusieurs pieds sur une seule tige.
10:25
Sinon je suis en train de me renseigner en ce moment sur les portes-greffes pour préparer l'année prochaine, est ce que certains seraient intéressés par des PG résistant à la Sharka, et faisant avorter les greffons atteints ? Pour assainir les échanges, ça peut être intéressant...
BV
11:25
Benoit Vandangeon
In reply to this message
Pour le moment, je trouve les "mures blanches blanches" généralement bien meilleures que les nouveaux "cultivars". Il y en a beaucoup dans le Gard, des anciennes variétés bien goûteuses, nos anciens devaient tenir compte de la qualité des fruits ?
7p
11:53
73203 ppmimcs
11:56
Là, je viens de goûter à nouveau à bonne maturité... c'est moins pire que dans mon souvenir mais à trois ou quatre, je cale !
K
12:27
Kader
In reply to this message
J’ai regoûter celles dont j’avais posté des photos il y a quelques jours (peut être 2 semaines).

Sur celles qui ne sont pas parfaitement mûres j’y trouve un léger goût de framboise.

Mais les plus mûres s’approchent de la figue! C’est assez surprenant !
B
20:42
Boris
J’ai probablement perdu mon mûrier blanc … à cause d’un petit rongeur … 😔
GP
23:10
Gabriel Pays basque
In reply to this message
En fleur ici aussi. Je me demande si les fourmis nombreuses ne participent pas à la pollenisation du litchi
27 May 2023
BV
11:06
Benoit Vandangeon
Ton litchi est bien plus beau que le mien ! Pleine terre ?
7p
12:30
73203 ppmimcs
Ola tout le monde, est-ce que vous avez un plan pour acheter du parafilm ?
BV
12:34
Benoit Vandangeon
Non, mais je suis intéressé !
L
14:17
Lancelot
Buddy tape sur triangle outillage
P
14:19
Pierre Berlan
BV
14:34
Benoit Vandangeon
In reply to this message
C'est pas donné 🤔 c'est le prix du buddy tape. En même temps, 75 m ça en fait des greffes !!!
L
14:54
Lancelot
Je viens de voir t’as dernière vidéo Benoit, cnest top! 👍
Tu nous feras un debrief de ce qui aura le mieux fonctionner ?
C
15:35
Camille
Hello ! Petit week-end chez des amis à Largentiere, je comprends mieux pourquoi c'est si galère chez toi Benoît ! Qu'est ce que c'est sec le coin !!! Rien à voir avec le Tarn actuellement !!
15:35
BV
19:50
Benoit Vandangeon
In reply to this message
Oui, les précipitations ici c'est comme la lotterie ! Il y a deux jours il est tombé 30 mm à Nîmes ouest et zéro 4 km à l'est (au mazet)
19:50
In reply to this message
J'espère avoir de bonnes nouvelles à annoncer !
28 May 2023
V
07:27
Vincent
In reply to this message
Ca fait 7500 greffes ^^
07:29
Ou 75ans de greffes ^^
L
10:12
Lancelot
Quelqu’un a déjà essayer les yangmei? https://tropicalfruitforum.com/index.php?topic=50041.0
C
10:45
Camille
In reply to this message
Ou 5 ans 😁😅
K
11:52
Kader
In reply to this message
Sur eBay ou sur aliexpress!! Compare quelques annonces entre la longueur et la largeur (il y a plusieurs tailles)

En général je m’en sort pour 7€ max le ruban de 5m sur 10cm de large ça me dure un bon bout de temps !

Attention pour la conservation (il devient cassant sinon) il faut absolument le placer dans un petit sachet (sous il est livré dans un petit ziplock) et dans la porte du frigo!
7p
13:48
73203 ppmimcs
In reply to this message
Je me demandais justement si ça se conservait bien !
K
13:52
Kader
In reply to this message
Personnellement j’évite de prendre du 25 ou 50m parce qu’il va se passer une vie entière avant que j’en vois le bout.

Une fois qu’il devient cassant (a l’inverse d’etirable) c’est vraiment chiant…

Après ça dépend si tu débites ou pas ! En tout cas je te conseille de toujours le garder dans un sachet scellable/hermétique !
13:54
In reply to this message
C’est une arbouse ?
L
13:55
Lancelot
In reply to this message
Non cnest du myrica rubra, ça y ressemble vachement mai c’est subtropical, certaine variété résisterait a -8c mais je connais pas du tout l’intérêt gustatif
K
13:56
Kader
In reply to this message
J’en ai déjà gouté dans un resto chinois celles de couleur pourpre, mais je sais que je n’y suis jamais retourné …. 🤷‍♂️🤷‍♂️🤷‍♂️
L
13:57
Lancelot
In reply to this message
Et alors ça donnait quoi?
K
14:03
Kader
In reply to this message
Sans intérêt mais elle etaient dans le sirop!


Et c’est drôle parce que jusqu’à ce jour j’étais persuadé d’avoir mangé des arbouses et que la couleur foncée était due au passage dans le sirop!

Du coup je pense que tu dois pouvoir en trouver dans les supermarchés asiatique style Tang Frères, ça te donnera au moins une idée !!
C
15:00
Camille
Video file
Not included, change data exporting settings to download.
00:18, 6.7 MB
C'est quoi ce pays ? 😂
15:05
D'un seul coup, on était dehors paf, orage, pluie, grêle.
15:05
On nous annonçait pourtant que la pluie avait disparue 😁
BV
17:17
Benoit Vandangeon
BV
17:34
Benoit Vandangeon
In reply to this message
Guy me disait que cette année il avait fait 10 000 greffes dont 6 000 d'agrumes (ils sont deux). A ce rythme, et avec des greffes en placage il est clair que le ruban ne passe pas l'année !
17:36
In reply to this message
Thierry m'avait donné des fruits, j'ai semé les graines mais rien a levé.
C
20:43
Camille
Video file
Not included, change data exporting settings to download.
00:19, 19.5 MB
J'ai trouvé où est passé toute l'eau qui te manque Benoît 😅
Apparemment ça coule toute l'année, même en été.
BV
21:11
Benoit Vandangeon
In reply to this message
C'est magnifique ! Un affluant de la Cèze ?
C
21:31
Camille
La rivière s'appelle la Ligne, issue de source de montagne, c'est un affluant de l'Ardèche. :-)
29 May 2023
7p
08:41
73203 ppmimcs
08:43
Bon alors, je vous fais une devinette ou bien je vous avoue que je ne trouve plus le nom ni l'étiquette 🙂
08:46
In reply to this message
De vague mémoire... peut-être " Thiessen" ?
08:46
In reply to this message
En tous cas, miam !
P
09:10
PermaPhil
In reply to this message
Ça arrive tôt chez toi !😲
B
09:22
Boris
Moi j'ai pas encore les baies de mai 😂
P
09:24
PermaPhil
😆 C'est tardif cette année...
7p
09:25
73203 ppmimcs
Je n'y connais pas grand chose en Amélanchier. C'est greffé ? Bouturé ?
P
10:17
PermaPhil
Les 2. Tu peux greffer sur aubépine et sorbus, ou le bouturer mais moins simple...
B
11:46
Boris
Certains drageonnent bien aussi , si tu en as repères les et ajoute un peu de terre au pied , je l'ai fait cette année en vue de les séparer et de les greffer avec la variété
P
12:38
PermaPhil
Oui tu as raison ! mais je n'ai pas trouvé le temps de les butter au pied...
BV
13:23
Benoit Vandangeon
In reply to this message
Ça résiste au sec ?
P
13:24
PermaPhil
In reply to this message
Une fois bien implanté oui
BV
13:24
Benoit Vandangeon
Chouette !
C
13:57
Camille
In reply to this message
Oui, mais le manque d'eau donne généralement des fruits médiocres... Sauf bonne exposition... Mais c'est un arbrisseau qui se plaît surtout à la mi ombre.
B
14:00
Boris
C
14:00
Camille
In reply to this message
Les boutures sont très difficiles, les marcottes aussi longues que l'arbousier, la greffe sur aubépine donne une croissance très faible, et les semis n'aiment pas qu'on leur chatouille les racines.
Le meilleur compromis que j'ai trouvé c'est la greffe sur Sorbier des Oiseleurs, la croissance est bien plus rapide que sur franc ou semi sans greffe.
B
14:01
Boris
C
14:01
Camille
Accessoirement je trouve l'ovalis bien plus goûteux que le canadensis, qu'importe la variété
B
14:02
Boris
Poussent de 50cm sur les rejets ... Et il est bien chargé, c'est sa deuxième année de production , planté il y a 4 ans
14:03
Délicieux et exquis en glace 😍
C
14:04
Camille
In reply to this message
Et en confitures et coulis... 😁
7p
16:40
73203 ppmimcs
In reply to this message
Pour l'instant oui, mais il est dans une haie plantée très dense et presque caché dans un pêcher de vigne. Pour cette haie je n'y étais pas allé de main morte profitant de la minipelle d'un copain. Donc il y a eu un apport de bonne terre (c'est dans du remblais) et un énorme apport de broyat et paille.
Réponse à moyen terme...
16:46
Tempête au dessus de chez moi à l'instant ! Je vois passer quelques grêlons... 🤞
BV
16:52
Benoit Vandangeon
In reply to this message
Petite averse à Nîmes, les amateurs de feria doivent être trempés...
BV
19:35
Benoit Vandangeon
In reply to this message
Finalement, pas si petite l'averse, il pleut sans discontinuité depuis 16:00, un pluie modérée très très appréciable.
C
19:45
Camille
Premières Gojis de l'année qui arrivent aussi ! Et le Mojo Berry continue de produire de grosses mûres juteuses 😊
19:45
19:45
19:45
19:45
19:45
19:45
19:45
19:45
19:45
19:45
19:45
19:46
L'abricotier continue de pousser il a un an et 3 mois... Fulgurant. Les quelques fruits grossissent.
BV
20:20
Benoit Vandangeon
Kader, weird fruit explorer était en Algérie, il a goûté de très bons pepino, tu confirmes ? C'est une variété spéciale ?
https://youtu.be/SJsnhkpqJ5c
30 May 2023
K
01:01
Kader
In reply to this message
Oh wow!! J’ai regardé tellement de ses vidéos !!

Alors moi on m’a dit que ceux qui poussait ici en Algérie étaient absolument délicieux… puis j’ai voulu goûter en France!

Metro en vendait, on a failli en prendre une caisse avec un pote et le vendeur nous a déconseillé, il a eu telllent pitié de nous en voyant le prix que ça coûtait, qu’il nous a permis de goûter des fruits …. Des concombres!! Fade, aucun intérêt !!!

Mais je suis vraiment frustré parce que j’ai vraiment insisté auprès des gens qui en avait gouté d’Algérie et ils m’ont assuré que c’était excellent et sucré et que ça avait le goût du melon à s’y méprendre !

A noter que le fruit n’est pas très connu ici!!
JC
01:51
Jloup Charp
In reply to this message
J'ai gouté des pépino de jardin près de chez moi et effectivement c'est pas foufou...
7p
07:37
73203 ppmimcs
In reply to this message
Je reste sur l'idée qu'il faudrait récupérer les graines d'un fruit qui serait attesté après un essai gustatif favorable. Les minus de mon jardin étaient immangeables (histoire relatée sur le forum).
BV
08:38
Benoit Vandangeon
In reply to this message
Oui ! Il y a deux choses importantes pour le pepino à mon avis :
- 1. avoir un très bon cultivar (pas celui de la maison du bananier par exemple).
- 2. consommer en sur-maturité (https://acclimatons.com/pepino-etrange-legume/).
M
08:51
Maxime Elias
Ils sont fréquemment cultivés aux îles canaries. J'en ai goûté à plusieurs reprises, aucune idée des cultivars, mais dès lors qu'ils étaient bien mûrs, je les trouvais bons .
BV
11:31
Benoit Vandangeon
je suis tombé sur cette balance import/export de fruits et plantes comestibles. Fort instructif...
11:31
P
11:38
Philippe
In reply to this message
Salut. Quelle est la source de cette infographie ?
Et quelle est l'unité ? (Pourcentage du montant des ventes/achats exprimés en dollars ?).

Je suis vraiment très étonné de la part extrêmement réduite de l'Amérique du Sud, et encore plus de l'Afrique !
Peut-être que ces dernières exportent à bas prix d'énormes quantités, tandis que les pays du nord (Eurasie et Amérique du N.) commercent de plus petites qttés mais à des prix nettement supérieurs...

Je serais intéressé de trouver une infographie équivalente, avec comme unité la part du tonnage mondial.
GP
12:07
Gabriel Pays basque
In reply to this message
Oui j'en cultive depuis plusieurs années en pleine terre et effectivement le fruit doit murir sur la plante et ayant reçu du soleil pour être sucré
BV
12:09
Benoit Vandangeon
Si on recherche que les fruits, les chiffres sont également surprenant
https://oec.world/en/profile/sitc/fruit
GP
12:12
Gabriel Pays basque
Par exemple je viens de récolter cette semaine seulement les fruits formés en automne (et même comme ça on sent que le fruit a murit durant l'hiver et que le résultat n'est pas parfait
12:13
Aucune idée de ce cultivar mais pas décevant. Il est en pleine floraison en ce moment
7p
12:18
73203 ppmimcs
In reply to this message
Les plants étaient en serre ?
7p
12:37
73203 ppmimcs
In reply to this message
Je viens de jeter un œil... l'ovalis, de plus conviendrait mieux aux sols calcaires, tandis que le canadensis aurait besoin de sols plus acides.
GP
13:40
Gabriel Pays basque
In reply to this message
Non pleine terre. Les petites gelées rend la plante caduque ici mais la plante conserve ses fruits
JC
16:20
Jloup Charp
J'ai l'impression qu'un kaki fuyu veux murir. Je n'ai pas de chance ici avec les kaki j''ai un jiro qui est mort cet hiver sans raison apparente il avait déja passé un hiver rude et la il été plus doux...
M
16:28
Maxime Elias
J'ai deux chips de virginiana meader sur d.lotus qui ont pris un an a se réveiller. Ils ont commencés à pousser ce printemps, puis depuis 15 jours flétrissent légèrement, se remetent, flétrissent de nouveau, etc.
À chaque fois ils s'abîment un peu plus. J'en ai enlevé un et le second est pratiquement mort.

C'est ce qu'on appelle des problèmes de compatibilité ? Pourtant un autre virginiana meader, sur d.lotus également, entame son deuxième printemps heureux.
L
17:10
Lancelot
Meader sur lotus ça passe normalement, le kaki peut être capricieux..
7p
17:17
73203 ppmimcs
In reply to this message
J'ai essayé pleine terre, au premier gel : "de profundis..." hibernation en véranda, pas mieux...
C
17:58
Camille
Première vraie récolte.
L'arbre est encore plein de fruits, et les fleurs continuent d'arriver 😁
17:58
L'acclimatation c'est chouette, mais pouvoir se nourrir aussi 😅
18:07
Le mûrier Pakistan pousse bien malgré la taille drastique
18:08
Les cudraniers aussi, par contre, quelqu'un sait à partir de quand ça noue ? La fleur ressemble fortement aux mûriers
18:08
18:08
18:08
18:08
18:08
18:08
31 May 2023
BV
12:27
Benoit Vandangeon
Pourquoi manger ses oranges Washington aussi tardivement ? Tout simplement parce qu'elles sont divinement meilleures comme ça !
Tic Tac invited Tic Tac
PH
13:01
Paul Houdet
In reply to this message
Plus sucrée ? Moins acide ? Plus de profondeur de goût ?😊
BV
13:14
Benoit Vandangeon
In reply to this message
Oui tout ça, et une petite note caramel proche de la peau !
Y
13:24
Yan
Du coup tu les laisse combien de temps sur ton arbre ?
BV
14:03
Benoit Vandangeon
Un peu plus d'un an. En fait chez moi, à la fin de l'été les agrumes sont rikiki, si je les mangeais aux dates habituelles ils seraient verts et petits. Donc j'attends. Pour cet oranger c'est tout bénef, pour le reste c'est discutable car ça fait des agrumes secs...
7p
14:35
73203 ppmimcs
In reply to this message
Et tes mandarines "de Benoit" dont tu disais que les fruits étaient sûrement passés... La mandarine était délicieuse avec un certain jus, certes pas très abondant, mais une saveur et une texture que j'adore : comme de petites vésicules qui éclatent en bouche. J'espère que la greffe aura pris, sinon je viens commettre un larcin nocturne, maintenant que je sais tomber le mur d'un coup d'épaule (private joke !).
C
16:07
Camille
Devinette ! 😁
16:07
16:07
BV
16:09
Benoit Vandangeon
Noyaux de litchi ?
GP
16:17
Gabriel Pays basque
In reply to this message
Asiminiers?
i
16:22
ili
Néflier ?
C
17:48
Camille
Asiminiers ! Autour de 130 semis ayant germé mis en pot today.
Ça en fait des sacs de terreau, autour de 260l, et les pots longs PE reviennent autour de 75€ 😅
17:49
17:51
Je viens juste de finir, 3h de taff
Y
18:27
Yan
In reply to this message
Asiminiers je dirais
P
19:20
PermaPhil
In reply to this message
👏 mais attention aux limaces quand elle vont sortir de terre... J'en ai perdu pas mal l'an dernier comme cela...
BV
20:01
Benoit Vandangeon
In reply to this message
J'ai confondu la partie aérienne et les racines ☺️
C
20:23
Camille
In reply to this message
Oh oui, ça je sais... Ça fait 3 ans que j'en cultive/sème en augmentant progressivement la quantité... L'année passé une quarantaine, avant ça une douzaine.
Ils seront mis à l'abris dans des bacs d'eau (fonds de cuves 1m3) tel un îlot.
Il paraît qu'une dilution pimentée fait des miracles pour calmer les gastéropodes aussi. (et les chevreuils 😅)
P
20:57
Pierre Berlan
Salut, je me demande bien ce que c'est ces lignes noires sur les feuilles de mon plaqueminier?
V
21:17
Vincent
In reply to this message
Je vais tester :)
JC
21:25
Jloup Charp
Cara cara en extérieur on verra :)
BV
21:38
Benoit Vandangeon
In reply to this message
Carrément proche du mur 👍
21:39
In reply to this message
21:40
Ça ressemble au h ? Image extraite d'une étude, mais le pdf est payant ☺️
Y
21:40
Yan
In reply to this message
Il a ses chances👍👍
JC
21:49
Jloup Charp
In reply to this message
Oui chez moi gros facteur de réussite je pense. On devrait dépasser les 2 kilo de satsuma cette année sur ma miyagawa en exterieur ;)
21:50
In reply to this message
En rusticité oui maintenant j'aimerai savoir les fruits vont arriver avant l'hiver et seront bons
K
23:43
Kader
In reply to this message
J’ai un voisin qui en a encore sur ses arbres …. Il n’est pas là c’est sa résidence secondaire ! Je me demande jusqu’à quand elles vont tenir…. Ma mère me disait qu’étant plus jeune elle ne « cueillait » les oranges qu’une fois tombées de l’arbre et que c’était autre chose!
23:44
In reply to this message
La chislett ne sèche pas et a été justement sélectionnée parce qu’elle tient jusqu’au mois de juin …. La tienne est elle une washington ou une navel sans autre précision ?

La washington n’est pas réputée pour tenir aussi longtemps normalement!
23:47
In reply to this message
Comment est ton sol? Il draine bien ?
1 June 2023
P
00:00
Pierre Berlan
In reply to this message
Mon sol est argilo-calcaire. Pas terrible pour le drainage je pense. Toutes les feuilles ne sont pas non plus comme ça mais je me demandais ce qui en est la cause.
K
00:14
Kader
Déjà est ce que tu constate que l’eau reste en surface après une longue pluie ? Si ce n’est pas le cas c’est que c’est pas si mal….

Il y a eu un coup de froid chez toi depuis que ton arbre a débourré?

Toutes les feuilles sont atteintes ou seulement certaines? Plutôt en haut ou en bas des rameaux ?

On dirait que ta photo a été prise en automne et que les feuilles sont prêtes a tombé pour que ton arbre rentre en repos hivernal ….

Il est greffé sur quoi ?
P
10:07
Pierre Berlan
In reply to this message
J'ai pris la photo hier.
Je n'ai pas constaté d'eau résiduelle après la pluie. Il y a environ la moitié des feuilles atteintes. Je m'aperçois ce matin qu'elles tombent facilement quand on les touche. Malgré cela je ne pense pas que l'arbre soit en danger. A mon souvenir, Il n'a pas subi de coup de froid significatif après avoir débourré.
Il y a longtemps que je l'ai acheté, je ne sais pas sur quoi il est gréffé.
C
10:17
Camille
In reply to this message
99% de chances qu'il ait été greffé sur Lotus... À ma connaissance, aucune pépinière de portes-greffes ne propose de Virginania en France pour les greffer.
Virginania aurait sans doute plus adapté à un sol argilo-calcaire, surtout s'il y a des risques d'asphyxie racinaire
B
10:28
Boris
In reply to this message
J'ai exactement la même chose chez moi , il est en pot car tout jeune , mais les feuilles tombent des qu'on les touche et il y a ces petites taches noires ...
10:28
10:29
10:29
Russian beauty
C
10:43
Camille
Ça ressemble à de la Cercosporiose...

https://www.infectario.ufv.br/doencas-do-caqui/
10:50
Je doute que ce soit l'anthracnose en tout cas, les tâches sont généralement plus grosses.
BV
18:08
Benoit Vandangeon
Une petite pluie en fin de chaque après midi ? On va y prendre goût...
7p
18:51
73203 ppmimcs
In reply to this message
Quand c'est trop, c'est tropical ! J'entends déjà les anciens du village : "ça va être une année à mildiou.... "
JC
19:42
Jloup Charp
In reply to this message
Nous c'est sec de xhez sec les arbres plantés cet hiver commence a souffrir
BV
19:50
Benoit Vandangeon
In reply to this message
Mince. Ce que l'on a comme précipitation permet à la végétation de souffler un peu. Mais d'aucune façon cela permet de régénérer la RFU (réserve en eau facilement utile). J'ai creusé, au delà de 5 cm, c'est sec.
En revanche, je pense que localement il y a eu de très gros cumuls de nature à remplir ces réserves ! Je pense notamment entre Nîmes et Montpellier.
C
20:38
Camille
Hé bah... Je ne pensais pas que vous en étiez à ce point, à ce rythme, ça va devenir désertique beaucoup plus rapidement que prévu...
JC
21:27
Jloup Charp
In reply to this message
Nous il ne pleut plus du tout depuis un mois au moins et va fait deux semaines qu'on a mini du 25 28 tout jours...
21:27
*tout les jours
C
21:52
Camille
In reply to this message
On avait ça ici l'année dernière... Mais cette année, printemps plutôt pluvieux et frais.
On a juste eu un coup de chaud en tout début de printemps, mais passé aux travers des gelées de début avril
21:52
Du coup tout a super bien démarré, puis s'est calmé un peu
Y
22:16
Yan
In reply to this message
Pareil ici en bzh
22:17
Sa chauffe bien mes trop souvent du vent du coup sa commencer à bien trop sécher les sols
22:17
29 aujourd'hui jloup pareil je pense niveau temp
K
23:00
Kader
In reply to this message
Sur cette photo on voit clairement des toiles d’araignée il s’agit en fait d’acariens. Ils s’installent quand il fait sec et détestent l’humidité. Il y a des produits pour traiter mais commencer par corriger le taux d’humidité en vaporisant le plant plusieurs fois par jour peut aider à bien réduire l’attaque
23:03
In reply to this message
Je compatis…. Tu sais vous avez eu combien en cumulé depuis le début de l’année ?
2 June 2023
BV
08:42
Benoit Vandangeon
je pense qu'au Mazet je dois plutôt tourner autour des 60 mm en mai, c'est déjà bien 😁 Et depuis le début de l'année, on doit être à environ 150 mm au Mazet.
B
10:00
Boris
In reply to this message
Ok merci je vais le faire
BV
P
12:22
Pierre Berlan
In reply to this message
Moi j'en suis à 142mm à ce jour.
C'est quoi l'adresse pour obtenir cette courbe ?
12:24
142mm dont 88 en mai.
12:33
je crois que le plus sec en france reste marignane avec 63mm depuis le debut de l'année (malgré les 41 mm du mois de mai !)
B
12:51
Boris
Nous sommes a 466 en haute Corrèze 😎
P
12:55
Pierre Berlan
In reply to this message
Oui, je trouve 58mm à ce jour pour Marignane !
JC
13:05
Jloup Charp
208 en cumulé depuis janvier ici mais en mai j'ai vraiment pas l'impression d'avoir eu de pluie
K
13:34
Kader
In reply to this message
60mm pour mai c’est pas trop mal! C’est dans la moyenne de ce que tu as d’habitude ?
B
13:40
Boris
Il faut se méfier de ces chiffres ... La station la plus proche de moi est a 30km ... Ça peut varier !
K
13:43
Kader
J’ai comme l’impression qu’il y a eu un blocage des précipitations depuis le début de l’année en Méditerranée.

Je m’explique : à chaque fois que je regardais la météo les animations satellite, j’ai eu l impression que ce qui arrivait de l’Atlantique se heurtait à l’anticyclone des Acores qui renvoyait toute la pluie au nord ou bien trop à l’est pour que ça nous touche (je rappelle que je suis en algerie)

Depuis le 15 avril ici on a de la pluie non stop (il a littéralement plu en 15 jours / 3 semaines et c’est pas fini) ce qui devait pleuvoir pendant tous le printemps.

C’est un des mois de mai les plus pluvieux que j’ai connu….

Il y a cette grosse dépression qui a réussi à passer cette fois ci et se retrouve bloquée et tournicote entre l’Espagne/ la France, l’Italie et le Maghreb et c’est assez salvateur….

Ça fait deux ans que c’est comme ça… on dirait une nouvelle tendance où les pluies se font plus tardive qu’avant… vous en pensez quoi ?

J’espère que le mois de juillet sera également clément! Ça m’évitera de voir ma première vraie belle récolte d’orange et de Clémentine réduite à néant !
B
13:47
Boris
Je pense qu'il y a des cycles qui se répètent et varient sur plusieurs années et aussi une sorte de décalage en effet . Chez moi il y a 15 ans , les gelées tardives début juin étaient courantes , cela fait 2 ans qu'il fait 10 degrés au lieu de 3-5 et pas de gelées cette année !? Moins de pluie a l'automne je trouve par rapport à il y a 15 ans aussi et plus de pluie au printemps...
13:47
D'où températures plus douces
K
14:32
Kader
Oui, je crois qu’on peut faire ces observations un peu partout !
A paris avant Septembre était non seulement le mois de la rentrée mais aussi un mois pluvieux… maintenant on se balade en t shirt jusqu’à la mi octobre … j’ai l’impression que tout se bouscule avec une espèce d’effet domino sur le reste dès saisons!
TT
14:55
Tic Tac
Bonjour à tous! Excusez mon intervention non à-propos mais je suis nouveau et je me demandais s’il existait en ligne des communautés d’échange de greffons, en particulier sur la Loire Atlantique(sans avoir recour à Facebook si possible). J’aimerais me mettre à la greffe car j’ai beaucoup de prunier sauvages et de pruneliers sur mon terrain Merci beaucoup et bonne journée à vous!
M
15:09
Maxime Elias
Bonjour, il y a par exemple la bourse aux greffons de e-fruitiers.net, mais ça n'est pas limité à la loire atlantique
C
15:25
Camille
@Maxime H. , Jloup , @Pierre En 7 Saisons , @Leo @PermaPhil

J'ai été tâter le terrain pour trouver les portes-greffes de prunus résistant à la Sharka et assainissant les greffes, qui avortent si le greffon est contaminé.
Accrochez vous, car ce n'est pas du tout donné... Faut avoir de la trésorerie pour pouvoir se permettre l'investissement...
15:36
Deleted Account
In reply to this message
Tu t’es probablement trompé de Maxime 😉 mais c’est toujours intéressant.
B
15:54
Boris
Pour les porte greffe , faut en acheter un et le trogner sévère 😜
C
16:13
Camille
In reply to this message
Ils sont sous licence, d'où le prix.
Si en tant que pro, quelqu'un s'amuse à ça, et que les gestionnaires de droits viennent fouiner la différence entre ventes et commandes, il va prendre très cher.
16:14
La recherche à un coût très élevé, et c'est un boulot pointu de très longue haleine, il faut bien participer à moment donné...
JC
18:05
Jloup Charp
Outch dur dur en effet
Y
18:21
Yan
18:22
Petite questions j'ai greffée un avocat se semis sur un poncho depuis 1 mois ils commencent à faire un bourgeons d'un côté le soucis ces qu'il noircie.
18:23
Quoi faire le protéger du soleil et il repartira peux être ?
18:25
Pour info's le greffons était sous plastique avant il. Vient être enlever.
18:27
Merci pour votre aide 👍
B
19:16
Boris
In reply to this message
Pêcher Greffe anglaise compliquée du 4 mars ayant pris -6 le 5 mars au matin , on dirait que c'est bien pris 😎
19:18
Comme quoi on peut greffer a des périodes qui ne sont pas toujours dans les bouquins 👍
7p
19:22
73203 ppmimcs
In reply to this message
A l'automne dernier j'ai fait mes premières tentatives de greffes de pommiers en cette période (anglaises compliquées). Sur une quinzaine tout a démarré. J'ai eu de la casse sur 3 mais, c'est dû à une maladresse de ma part.
P
19:23
PermaPhil
In reply to this message
Peu de vigueur sur ta greffe de 2 mois... Oui ça marche mais tu auras un bien meilleur taux de réussite sur pêcher en greffant à l'écusson en été.
B
19:31
Boris
J'avais déjà fait en écusson mais je n'etais pas sûr de la survie de cet arbre . Il galère depuis plusieurs années . Mais les feuilles ne sont sorties que depuis 1 semaine seulement ! A voir dans le futur ... Je n'ai pas coupé la tige principale qui a 5 ans ( car j'ai la première pêche que je veux goûter) donc ceci explique peut être cela 😉 on va dire que c'est expérimental 😬
C
21:50
Camille
In reply to this message
Pas forcément, voilà mes pêchers greffés début février.
P
22:31
PermaPhil
In reply to this message
Je parlais de la greffe sur la photo...
B
22:38
Boris
Ma première greffe en écusson a fait 2 m l'année suivante . Je suis d'accord avec toi mais je suis quand.meme content d'avoir réussi à sauver la variété car j'avais peur qu'il crève , c'est pour ça que je l'ai regreffé au pied sur un rejet et comme finalement il m'a fait une pêche je n'ai pas coupé le tronc principal d'où j'imagine le manque de vigueur que tu vois 😉. Mais j'étais pas sûr que ma greffe prenne alors 😅 j'experimente sur un sujet que je croyais condamné a une mort certaine 😬
C
23:53
Camille
In reply to this message
Je parlais du taux de réussite, je serais curieux de savoir de combien tu t'approches pour la greffe en écusson des pêchers 😊
3 June 2023
P
07:27
PermaPhil
In reply to this message
C'est difficile à dire car chez moi les résultats sont faussés car j'ai peu d'eau, et souvent les porte greffes ne sont pas tous assez en sève par manque d'arrosage. Mais je dirais qu'à l'écusson on est plutôt au dessus des 90% de réussite.
C
07:30
Camille
In reply to this message
Ah oui, effectivement, c'est quand même 30% de plus !
Les deux greffes peuvent être un moyen de répartir le travail sur l'année sinon
B
07:59
Boris
Ou d'avoir des sujets un peu moins poussants qui s'allongerons moins surtout si en pot !?
PH
08:04
Paul Houdet
Nîmes opposé à Bruxelles, mois de mai, 2023
BV
10:49
Benoit Vandangeon
Je profite d'une petite parenthèse tarnaise pour récolter des cerises de sainte Lucie pour faire des porte-greffe.
K
15:11
Kader
In reply to this message
Il est mort
BV
15:11
Benoit Vandangeon
Je trouve ce témoignage instructif
"Mon bananier Namwah nain est revenu d'entre les morts.
Je l'ai planté à l'extérieur l'année dernière parce qu'il n'y avait pas de place dans la serre. Je pensais donc qu'il était fichu. Cette année, nous avons eu des températures négatives de 9° avec plusieurs jours consécutifs sous le point de congélation. Je ne l'ai pas protégé non plus.
Mais aujourd'hui, la plante a encore pris de l'ampleur. Je ne peux pas ajouter de photo car le système d'image a des problèmes.
Jusqu'à présent, je pensais que la seule plante tolérante au froid était le musa basjoo. Mais il semble que les bulbes aient un certain degré de tolérance au froid. Je suppose que s'il ne gèle pas sous le sol, c'est bon ?
Malheureusement, cela ne sert à rien car les bananes ont besoin d'un certain temps pour fleurir. Alors, peut-être qu'au lieu de cela, les plantes tropicales peuvent aussi être utilisées comme plantes d'intérieur dans le nord ?"
Source https://tropicalfruitforum.com/index.php?topic=51330.0
K
15:11
Kader
In reply to this message
S’il était en plein soleil il a juste cuit à l’étouffée …. Il eut fallu le mettre à l’ombre !
15:15
In reply to this message
Pareil je me suis rendu compte que les greffes d’automne donnaient de meilleurs résultats.

J’ai pour habitude de greffer au printemps parce qu’après des mois d’abstinence de jardinage en hiver la fièvre me reprend d’un coup!

Mais sur cerisier par ex la vigueur est telle que les bourrelets de greffe sont souvent gros alors qu’à l’automne c’est du travail d’orfèvre la cicatrice se voit à peine et le démarrage au printemps est déjà plus rapide et plus fort !
15:16
In reply to this message
Pareil les pêchers début février ça part bien et fort !
15:19
In reply to this message
J’ai prévu d’en semer partout sur mon terrain! Marre de transplanter de trop jeunes plants qui ne tiennent pas l’année et au moins comme ça je ne grefferai que ceux qui auront poussé au moins un an sur place et qui auront donc passé l’été donc définitivement résistant !
15:24
In reply to this message
Le bulbe même atteint par le gel devrait pouvoir repartir dès lors qu’un petit noyau a été protégé du froid. Et je pense que même s’il a pris cher il y a toujours une insulation qui se crée naturellement vu toutes les couches qui s’ajoutent au fil du temps !


J’ai un bananier que j’avais ramené de République dominicaine et que j’ai laissé dehors avant de partir….

J’espère vraiment qu’il repartira ….
15:24
In reply to this message
C
15:25
Camille
In reply to this message
Excellent raisonnement !
K
15:27
Kader
In reply to this message
Rien de mieux qu’une graine qui pousse spontanément sur place et dont le système racinaire s’enfonce en profondeur…. Aucune plante élevée en pot ne sera aussi vigoureuse !
BV
16:31
Benoit Vandangeon
Les greffes en pendule de prunier ont bien prises
16:31
16:33
Hier j'étais au paradis des greffeurs : plein de porte greffe vigoureux d'agrumes à greffer ! Je me suis régalé. Si jamais ça ne prend pas c'est de ma faute car le matériel végétal était idéal.
16:39
Photo prise à l'instant ! Ce néflier du Japon fait des fleurs début juin !!!!
C
18:34
Camille
In reply to this message
!!!!!!!!!!
18:35
Un rameau à surveiller de près !
18:35
In reply to this message
À une exception près, la ronce ! 😂
P
19:30
PermaPhil
19:30
Elaeagnus multiflora Sweet Scarlet. Excellent ! Le meilleur des d'eleagnus que j'ai goûté. Ils sont mûrs bien plus tôt que je pensais et sont bien gros comparé à l'umbellata.
JC
20:41
Jloup Charp
In reply to this message
Je t'en prend un :)
K
20:41
Kader
In reply to this message
C’est un véritable cauchemar !!! J’ai un voisin qui en est envahi… je m’en sort bien j’ai que 2 pieds dont il faut que je m’occupe !!
20:43
Purée de meeeeeeerde!!!!! Je viens de casser une greffe d’Olivier qui était super bien partie !!! 😡👊💥💣🧨
T
20:47
Thierry BOCCARD
Elaeagnus multiflora Pointilla Fruithunters Cherrific de chez Lubera.
P
22:20
PermaPhil
In reply to this message
Création de Lubera ? Quelle taille fait le fruit ?
4 June 2023
T
06:48
Thierry BOCCARD
Mes recherches sur le net m'ont amené à une pépinière dans l'Oregon : Northwood Nursery.
Y
07:08
Yan
In reply to this message
Merci pour ta réponse 👍👍
Y
08:19
Yan
In reply to this message
Quel goût à ce fruits proche de quel genre de fruit ?
V
09:57
Vincent
Je viens de goûter des fruits d’amelanchier. C’est carrément aussi bon que des myrtilles. Vraiment top
C
10:55
Camille
In reply to this message
Quelle variété ? ^^
C
12:05
Camille
Le Mojo Berry continue de produire en continu 👍😁
Par contre je confirme pour la drosophila suzukii, j'en ai vu quelques unes posées sur des branches... 😞 Et les punaises et merles commencent à s'intéresser aussi aux fruits
V
12:11
Vincent
In reply to this message
Telle est la question ^^ c’était dans un parc
12:12
Je dirais Lamarckii
M
12:16
Maxime Elias
J'en profite pour vous demander si vous connaissez le mien.
On me l'a donné mais je ne sais pas de quelle variété il s'agit. C'est la deuxième année qu'il fleurit, mais aucun fruit ne se forme. Je ne sais pas s'il est trop jeune ou s'il lui faut un autre compère pour la pollinisation.
12:16
12:16
DD
21:19
Devo Dave
In reply to this message
Quand tu dis "excellent" est ce un arbuste que tu recommanderais de planter. Perso connais pas.
BV
21:53
Benoit Vandangeon
In reply to this message
Peux tu décrire la saveur ? Extérieurement, c'est appétissant tant ça ressemble à une cerise !
K
23:39
Kader
In reply to this message
Petit conseil mais tu dois déjà le savoir !

Les avocatiers ont un bois tendre. Il est préférable de les protéger avec du parafilm ou carrément de les ensacher ou de les mettre sous cloche…. Bref tu as compris que le but était de préserver l’humidité du greffon!

Du coup, pour éviter qu’il cuise à l’étouffée, il faut aussi le mettre à l’ombre et dans tous les cas à l’abris de la lumière direct du soleil !


Autre info qui a toute son importance même si ce n’est pas forcément le cas ici !

Il est impératif de laissé des feuilles sur le PG!!!

Sinon le plant entre en choc et les racines meurent aussitôt, particulièrement au printemps !

Alors soit on greffe en fente assez haut soit on fait une greffe sur le côté (chip ou veneer graft par ex) et on ne decapite la plante qu’une fois que le greffon a bien repris ou encore mieux par étage jusqu’à ce qu’on arrive jusqu’à la greffe!!
5 June 2023
7p
09:54
73203 ppmimcs
09:58
Ce matin il y avait de quoi en croquer plusieurs à la fois. C'est une sensation gustative différente que de goûter un pyridon tout seul. Si "Ovalis" est encore meilleur, je crois que je vais en mettre partout !!!
P
10:56
Philippe
👇Voilà de quoi relativiser notre place et rester humbles ! 😉
P
10:56
Philippe
I
Infographies! 05.06.2023 09:15:04
Constituée de 8 milliards d'êtres humains dont l'empreinte écologique est particulièrement visible, l'humanité peut sembler occuper une place prépondérante sur Terre. Pourtant, une étude a évalué que nous ne formons qu'une infime partie de la masse des organismes vivants.
7p
12:08
73203 ppmimcs
Morus Alba Kokuso 27
12:17
In reply to this message
Maudit soit Acclimatons ! Ça c'est une intro putaclic, je viens d'apprendre le terme. Maudits soient aussi son initiateur et ses contributeurs... voilaty pas que je goûte toutes les mures que je croise maintenant ! 🤣
Observations (on est pas là pour dire des bêtises) : les mures du k27 me semblent plus grosses, plus longues et bien meilleures que les premières.
En sous-maturité une petite acidité vient contrebalancer le côté douceatre qui me gênait. Très mures, rose vif, elles sont très bonnes.
12:21
J'en viens à penser que si je trouve encore mieux...
Au CnP d'Alès j'ai goûté des blanches de belle taille et bien gorgées de jus. Beurk, pareil que pour les petites blanches : deux mais pas trois.
12:23
Par conte il y a un autre arbre qui produit des noires foncées : très goutues, rien à voir. Malheureusement les deux sujets étaient en place avant l'implantation du jardin, et on ne connaît pas le nom des variétés, dommage.
BV
12:45
Benoit Vandangeon
"
Il est impératif de laissé des feuilles sur le PG!!!

Sinon le plant entre en choc et les racines meurent aussitôt, particulièrement au printemps !

Alors soit on greffe en fente assez haut soit on fait une greffe sur le côté (chip ou veneer graft par ex) et on ne decapite la plante qu’une fois que le greffon a bien repris ou encore mieux par étage jusqu’à ce qu’on arrive jusqu’à la greffe!!"
Cela explique pourquoi ma greffe d'Aravaipa est morte... Je vais faire suivre l'info à Johan qui me l'a greffé. Heureusement que Pierre n'a pas suivi mes conseils car je lui avait dit de supprimer le feuillage sous le point de greffe !
P
14:21
Pierre Berlan
Oui je me suis contenté d'enlever les bourgeons qui démarraient et garder les feuilles. Ceci avec des PG qui avaient déjà un bon diamètre. Par contre je pense que si on greffe un tout jeune avocatier au tronc fin qui n'a qu'un toupet de feuille on peut tout enlever pour greffer.
BV
14:23
Benoit Vandangeon
In reply to this message
C'est ce que j'ai fait avec l'avocatier "Niza" et ça a très bien fonctionné.
P
14:33
Pierre Berlan
J'en ai un qui est en train de sécher aussi. A moins que les deux bourgeons du dessous veuillent bien démarrer
14:36
En voilà un qui a bien pris malgré un étêtage complet.
14:39
Idem on dirait.🙂
14:42
Un ou j'ai laissé les feuilles.
Y
15:18
Yan
In reply to this message
Je sais une partie merci à toi pour tes infos 👍👍👍
P
15:20
PermaPhil
In reply to this message
C'est excellent au goût, un vrai bonbon, et à planter c'est top ! Je rappelle que c'est un fixateur d'azote donc idéal en plante compagne comestible. J'en ai un grand de 5 ans qui vient de chez du Bosc mais rien à voir il fait ses fruits (2 fois plus petits) fin août septembre. Alors que la variété Sweet Scarlet fait des fruits en ce moment donc 3 mois plus tôt. Du coup j'ai un doute sur la variété du Bosc... Est ce vraiment un multiflora ou bien un umbellata que certaines pépinières appellent parfois à tort goumi...
15:24
In reply to this message
C'est sucré, acidulé, fruité, un bonbon genre Dragibus mais sans le côté caoutchouc ! 😉 À cueillir bien mûr sinon ça peut être un peu astringent mais bien moins que les fruits du ebbingei.
15:27
Oui, on dirait vraiment des petites cerises 🍒
15:27
C
16:34
Camille
In reply to this message
Ton pied semble particulier, normalement ces elaegnus ne fructifient pas maintenant mais en Septembre. S'il recommence l'année prochaine, je t'invite à le multiplier (voir prendre les devants), tu auras trouvé une Perle ! 😉
16:35
En plus, comme c'est autofertile, s'il n'y a pas eu pollinisation croisée, garde les graines, tu pourrais avoir des caractéristiques identiques de semi ! =)
P
16:39
PermaPhil
In reply to this message
J'ai gardé quelques graines. J'essaierai le semis.
P
18:51
Pierre Berlan
Aujourd'hui j'ai sevré une Marcotte de citronier que j'avais fait il y a 3 mois. J'avais eu la mauvaise idée de marcotter une branche penchant vers le bas. Du coup maintenant que je vais la planter dans le bon sens je vais avoir les racines qui partent vers le haut🫨
C
19:24
Camille
Holà ! Pour ceux qui voudraient protéger quelques plants de la grêle, j'ai eu de bons échos sur cette référence : https://www.fabrique-a-filets.com/110-filets-anti-grele
19:25
Il me semble que certains avaient eu de la casse ici
19:26
Ça peut sauver la mise...
19:26
7p
19:42
73203 ppmimcs
In reply to this message
Ça vaudra le coup de voir l'évolution lors du rempotage.
P
20:05
Pierre Berlan
Feijoa en fleurs chez mes parents 🙂
20:17
In reply to this message
Oui. De toute façon ce n'était pas une très belle Marcotte. Je l'ai faite parce que je comptais tailler cette branche.
BV
20:22
Benoit Vandangeon
In reply to this message
Que pensez vous des pétales de feijoa ? Suis je le seul à sentir un petit arrière goût savonneux ?
Y
20:27
Yan
In reply to this message
Déjà en fleurs ici pas mal de retard pas encore en fleurs
20:28
In reply to this message
Non pas de goût savonneux peux être là variétés ?
BV
21:08
Benoit Vandangeon
In reply to this message
J'ai essayé à trois reprises sur des feijoa différents, toujours un arrière goût désagréable.
L
21:12
Lancelot
21:13
Les mure du Wellington sont immense cette année sûrement du à la pluie
BV
21:23
Benoit Vandangeon
In reply to this message
Je ne sais pas comment articuler ton diagramme et cette information extraite de wikipédia "NÉMATODES, Ils représentent une part très importante de la diversité biologique sur terre et constituent, en nombre d'individus, les 4/5 du règne animal"
Y
22:52
Yan
In reply to this message
Bizarre sa manque eau non ? Peux être
6 June 2023
BV
08:58
Benoit Vandangeon
In reply to this message
Est-ce bon ?
L
12:46
Lancelot
In reply to this message
Perso je trouve excellente
12:46
12:47
Comparatif taille de fruit thiessen Vs canadensis
12:47
En gros après avoir goûté cnest comme un bleuet Vs une myrtille. Thiessen reste moins savoureux
BV
13:24
Benoit Vandangeon
In reply to this message
La récolte est étalée pour le mûrier du Wellington ?
L
13:25
Lancelot
In reply to this message
De tête je dirais que ça dure au moins un mois
BV
13:27
Benoit Vandangeon
Cette année bizarrement je n'aime pas trop les mûres. Je me demande si le manque d'ensoleillement ne rend pas les fruits incipides ? Seule la dolce Vita est goûteuse.
K
17:51
Kader
In reply to this message
Elles sont sensée avoir le goût du fruit ou du moins sucré mais j’ai rien senti pour ma part ou alors un truc t’es léger… mais pas de goût de savon !
17:54
Petit casse tête ….

On est tous d’accord pour dire que le pommier ne se greffe pas sur cognassier et que même s’il y a débourrement la greffe meure peu de temps après ?

Alors j’aimerai comprendre pourquoi j’ai une repousse du pg sur un pommier qui m’a tout l’air d’être du cognassier ??

L’arbre a déjà un an après la greffe pour info….
17:54
P
18:49
PermaPhil
In reply to this message
Disons que ce n'est sûrement pas le meilleur porte greffe pour le pommier mais j'en ai réussi un qui a plus d'un an mais il n'est pas très poussant... On dirait bien du cognassier qui repousse... Mais tu l'as eu où ? C'est une pépinière qui te la vendu ? Ce serait étonnant qu'ils utilisent ce porte greffe...🤔
18:51
A y regarder de plus près pas sûr que ce soit du cognassier. Les feuilles sont jeunes donc plus claires mais attends un peu qu'elles se développent...
K
19:44
Kader
In reply to this message
C’est la mairie qui les a distribué aux gens dont les arbres avaient brûlé lors des incendies de 2021!

En tout cas j’ai 2 poiriers qui sont greffés dessus et ils poussent beaucoup mieux que ceux que je greffe chez moi et que je replante sur mon terrain! Pourtant le chevelu n’était pas énorme !!
19:45
In reply to this message
Je me posé la question… mais ça ressemble parfaitement aux repousses de mes poiriers que j’ai arraché y a quelques jours ! En tout état de cause j’ai rien enlevé sur cet arbre ! J’attends de voir… ça m’intrigue !
C
19:52
Camille
In reply to this message
Pour ce que j'en sais il y a de rares cas d'affinité... Par contre la majorité du temps, le pommier peut profiter de la sève du porte-greffe, mais le porte greffe ne supporte pas la sève élaborée du pommier et meurt au bout d'un certain temps, ne se développant pas et étant vampirisé par le pommier.
P
20:17
PermaPhil
In reply to this message
Ok. Curieux. Tiens nous au courant stp.
BV
21:10
Benoit Vandangeon
Axel Erlandson - circus tree
VL
22:29
Vi Li
Salutations à tous les jardiniers de fruits exotiques.

Deux variétés (ziziphus jujube) "Provence", l'une à baies longues et l'autre à baies rondes, leurs baies mûrissent en août, mais je n'ai pas de données exactes, elles sont surtout utilisées pour les porte-greffes.

Je me rends compte qu'ils ont de petites baies, mais je m'y intéresse en raison du temps de maturation précoce des baies puisque j'ai des étés courts.
Toutes les autres variétés commerciales mûrissent en octobre ou plus tard, mais malheureusement j'ai déjà du gel et de la neige à ce moment-là.

C'est le seul article qui contenait des informations sur ces races, seulement je n'ai trouvé aucune information de contact pour contacter l'auteur de l'article et malheureusement je ne suis pas un hacker pour le trouver.

Peut-être que certains d'entre vous en cultivent, ou peut-être connaissez-vous quelqu'un qui en vend ?

http://www.fruitiers-rares.info/articles57a62/article61-cultivars-Jujubier-Ziziphus-jujuba.html
DD
23:45
Devo Dave
In reply to this message
Merci pour ce retour d'expérience
7 June 2023
K
01:18
Kader
In reply to this message
C’est exactement ce que je croyais savoir…. Bon bah je vais attendre! On verra bien ….
7p
08:56
73203 ppmimcs
Canadensis n'a pas encore fructifié.
08:56
BV
09:24
Benoit Vandangeon
In reply to this message
Cette photo issue du site Brokaw montre que l'on ne laisse pas de feuille au porte greffe.
7p
09:24
73203 ppmimcs
Je me suis souvenu d'en avoir mis un dans une partie un peu sauvage où je vais peu. Ce doit être un européen commun (donc ovalis ???). Je l'avais pris à Fabrizzio, à St Jean du Gard. Il est dans le 13 et propose des plants en petits conteneurs forestiers. En principe ce sont des variétés que l'on trouve à l'état "naturel", donc j'en déduis qu'il doit s'agir d'un ovalis... Je vais creuser la question... a vrai dire je me perds parfois dans la classification espèce/cultivar ou variété...
09:24
Par exemple, je pensais que Thiessen est un cultivar d'Alnifolia, qui est un amélanchier. Merci de vos précisions.
BV
11:44
Benoit Vandangeon
Atypiques ces dépressions qui s'attardent sur la méditerranée !
P
11:55
Pierre Berlan
In reply to this message
Ça dépend peut être de la hauteur à laquelle on greffe. Si on greffe bas il n'y a pas de feuilles en dessous du point de greffe.
7p
12:20
73203 ppmimcs
In reply to this message
Après un coup d'oeil sur le site de Fabrizzio Mazzobel, il propose deux amélanchiers, l'un dit 'des bois (ovalis) et l'autre du canada. Ce qui ne m'avance pas pour savoir lequel est chez moi... Pierre, il semble que cette pépinière est près de chez toi. Peut-être le connais-tu ?
Y
12:34
Yan
In reply to this message
Quel le type de substrat on dirais de la tourbe non ?
7p
12:36
73203 ppmimcs
In reply to this message
Je dirais plutôt que c'est de la fibre de coco.
Y
12:46
Yan
In reply to this message
Oui ces plutôt sa je crois 👍👍
K
14:16
Kader
In reply to this message
Oui alors la différence est qu’il s’agit là d’un pg clonal.

A la différence qu’un pg de noyaux, le système racinaire se développe en fonction du feuillage. Le rabattre complètement crée un choc pour le système racinaire qui se nécrose aussitôt!

Le pg clonal est surgreffé avant même que le feuillage se soit développé et même la greffe du pg sur le noyau se fait vraiment au stade juvénile donc avant que les feuilles ne se soient développées donc aucun choc!
14:17
In reply to this message
Pourvu que ça dure !
14:19
In reply to this message
En tout cas ils n’utilisent plus de terre pour leurs plants pour alléger les pots! Et pour éviter l’excès d’eau…
C
22:15
Camille
In reply to this message
Je pense aussi. Ça devient courant en pépinière pour les multiplications au début, ça présente pas mal d'avantages, par rapport aux matières minérales comme la laine de roche et la perlite.
Pour les figuiers ça se fait aussi.

Seul souci, l'aspect hydroponie pour nourrir les plants dans ce genre de substrat, et une reprise périlleuse ensuite pour le système racinaire qui découvre un terreau, ou de la terre...
8 June 2023
Y
07:51
Yan
07:51
Fleurs ? À votre avis ?
07:52
Ces un butia mes je connais pas la. Variétés exacte
K
12:30
Kader
In reply to this message
Oui! Je ne connais pas cette espèce la mais sur les dattiers elles apparaissent comme ça !
12:32
In reply to this message
Y en a qui ont déjà essayé sur le lentisque?
BV
12:50
Benoit Vandangeon
In reply to this message
Non je suis sur du calcaire, ça devrait fonctionner, maintenant ce n'est pas très vigoureux le lentisque ?
18:54
Deleted Account
Bonjour, voici la première récolte de mon Morus rubra :
18:54
18:54
18:54
18:55
18:55
18:55
18:55
18:55
18:55
18:55
18:55
18:55
J’ai également quelques minuscules fruits chez le blanc monoique.
BV
19:21
Benoit Vandangeon
In reply to this message
C'est bon cru ?
19:56
Deleted Account
Entre la groseille à macro et la pastèque je dirais.
19:56
Peu sucré
19:56
Ce n’est pas le meilleur fruit du monde c’est clair
19:56
Mais c’est pas mauvais.
19:57
Je rajoute un peu de sucre glace pour améliorer le goût.
K
20:06
Kader
In reply to this message
Ça dépasse pas souvent les 1m50…. Jen ai un qui est énorme et fait dans les 2m50 mais c’est vraiment une exception…
20:08
In reply to this message
Je comptais le passer à la tronçonneuse puis j’ai eu l’idée de le garder pour le greffer mais si ça vaut pas la peine …. ✂️✂️✂️
20:09
In reply to this message
La récolte ne fait que commencer pour toi ?

Tu es dans quel coin ?

La mienne vient de se terminer !! 😭😭😭
BV
20:12
Benoit Vandangeon
In reply to this message
Je trouve cette greffe bien difficile à réussir. J'aimerais en faire beaucoup pour m'améliorer, mais je n'ai pas de greffon. 😪
C
21:04
Camille
Quelqu'un aurait une idée de ce qu'il se passe pour ce pied ? J'en ai un autre comme ça aussi.
21:05
21:06
Je précise que je n'observe pas de pucerons
JC
21:10
Jloup Charp
Petite guilde installée sous serre froide a l'instant : goyavier fraise, chérimoya et abocat type mexicain. On verra :)
21:10
C
22:33
Camille
Un petit coup de gueule : https://youtu.be/2XnOra9MiPA?t=785
23:52
Deleted Account
In reply to this message
Normandie, Nord-ouest de la France, mais j’avoue qu’après avoir fait une petite razzia, je suis un peu déçu, c’est pas spécialement bon honnêtement, deux trois comme ça, c’est bien, bien mûr elles sont bonnes mais dans le lot, c’est moyen.

Après c’est un jeune arbre encore.. et c’est la première tournée, première récolte.. elles seront meilleure après.. mais du coup, je ne sais pas trop quoi faire avec si ce n’est pas en fruit de bouche.
9 June 2023
BV
07:49
Benoit Vandangeon
J'ai vu cette vidéo quand c'est sorti... J'appréciais bien cette chaine, mais là il parle de chose qu'il ne connait pas trop... Ca laisse un discrédit à tout ce qu'il affirmait avant ?
Y
08:20
Yan
In reply to this message
Surtout quand il dit qu'un avocatier ça ne produit pas beaucoup par rapport à un pommier alors que je trouve un avocatier bonne santé peut produire beaucoup
08:22
J'ai déjà vue en Bretagne un petite avocatier de 3m environs je pense que la. Variétés était du Hass mes avec énormément de fruits par contre année d'après presque rien
BV
08:31
Benoit Vandangeon
Oui, et puis sur les températures où les fleurs du Néflier du Japon gèlent. Il serait surpris de voir les Néflier du Japon de Paris fructifier... presque chaque année !
BV
12:32
Benoit Vandangeon
Première fleur de Carissa
12:32
Première fleur de goyavier fraise
JC
12:33
Jloup Charp
In reply to this message
Super :) moi encore en formation j'en avais plus tot mais les bourgeons floraux ont gelés en avril.
BV
12:34
Benoit Vandangeon
In reply to this message
En serre froide ?
JC
12:36
Jloup Charp
In reply to this message
Oui j'ai eu - 2 -3 dans la serre et -5 -6 début avril https://youtu.be/zphEpHwf5FY
BV
12:52
Benoit Vandangeon
In reply to this message
Au final, tu vas manger des cerises ?
7p
13:11
73203 ppmimcs
Ce "Caseiller" m'a été offert par une amie. Je ne sais pas s'il existe plusieurs cultivars. Je craignais qu'il ne pousse pas bien sur mon terrain argilo-calcaire mais il semble bien aller. Je voulais faire part de l'intérêt gustatif de ses baies cueillies sur l'arbuste. Autant le cassis et les groseilles (rouges) ont une acidité qui m'empêchent de les croquer, autant là, je trouve le goût très équilibré. J'ai pensé à faire la photo seulement après avoir raclé toutes les plus mûres, très foncées.
13:11
Caseille
JC
13:39
Jloup Charp
In reply to this message
Oui oui peut etre un moins que ce qu'il y avait de fleur j'irai voir tout a l'heure
BV
16:03
Benoit Vandangeon
A la base des branches de mandarinier plein de protubérances vertes. Vous avez déjà eu ça ???
JC
16:05
Jloup Charp
In reply to this message
Une envie de partir en buisson ? :) c'est le greffon ou porte greffe ?
BV
16:05
Benoit Vandangeon
Greffon
16:07
Vue d'ensemble
JC
16:07
Jloup Charp
As tu taillé le haut cet hiver ou dernièrement ?
16:08
Ça peut être en réaction a ça. En tout cas pour moi pas de soucis.
16:15
Une idée d'ou vient la production des asimina de l'ombre des figuiers ? Les pots sont pas très gros mais les arbres assez jolis. Par contre les prix... J'aimerai me faire quelques arbres mères. Merci :)
16:15
BV
16:22
Benoit Vandangeon
In reply to this message
Non
16:23
In reply to this message
Ok, tant mieux
K
18:42
Kader
In reply to this message
La réponse qui passe partout…. Fais en de la confiture sinon sers t’en comme haie si besoin comme ça se taille facilement ?
18:44
In reply to this message
Les Hass alternent … encore plus s’ils ont fait une grosse récolte et si on les laisse trop longtemps sur l’arbre
18:44
In reply to this message
Exactement !
18:47
In reply to this message
Oui les espagnols appellent ça des « abultamientos » ou « excroissances de bourgeons » en français ! C’est très inconvenant pour les agriculteurs parce qu’il est nécessaire d’ébourgeonner souvent ! Certains varietes ont la particularité d’en faire moins !
18:48
Bon bah pour mon pommier greffé sur cognassier ça se précise ….
J’ai plus aucun doute c’est bien du cognassier en Pg!! J’espère que tout ne va pas crever dans 1 an!
C
21:02
Camille
In reply to this message
Peut être avec le certificat phytosanitaire ?
JC
22:44
Jloup Charp
In reply to this message
J'ai pas d'autres étiquettes et numéro il me semble
10 June 2023
C
07:54
Camille
Les saisons deviennent folles, du brouillard en Juin dans le Tarn 🤔🤨
AB
21:09
Anne-Cécile B
In reply to this message
Oui j'en ai vu 2 ces jours ci couverts de fruits, au jardin des plantes (que les corneilles mangent) et au parc rue du Temple. Les fruits sont jaunes actuellement.
K
21:27
Kader
In reply to this message
Si dans le Tarn ça te choque, imagine en Algérie…. (On est sensé voir des collines dans le rideau blanc)
Et je te raconte pas les précipitations : il n’a pas plus de tout décembre, (on a eu neige fin janvier) février, mars, début avril… (qui est sensé être la période la plus humide) puis il s’est mis à pleuvoir non stop à partir de mi-avril… voilà les prévisions pour les prochains jours…
21:32
Oui c’est bien 47 puis 10 puis 29mm qui sont prévus…. Je vais pas me plaindre! Mais c’est pas commun…. On aurait dû avoir les dernière pluie y a maximum 10 jours !
V
22:29
Vincent
In reply to this message
C’est pas l’oronules? Je n’ai plus en tête le nom de cette variété qui fait ce type de bourgeons protubérants mais il me semble que c’est cette clémentine.
11 June 2023
BV
13:00
Benoit Vandangeon
In reply to this message
C'est exact !
V
14:11
Vincent
In reply to this message
En faite j’ai été voir, pour moi c’est plus précisément l’Orogros qui à ce développement atypique (mutation d’oronule) ;)
14:13
Ils en parlent d’ailleurs de ces excroissances sur leur site : https://www.viverosalcanar.com/produits/orogros/?lang=fr
BV
14:14
Benoit Vandangeon
Mdr, je n'osais pas écrire le nom de cette variété dans ce chat, car en théorie l'arbre n'a rien à faire dans mon jardin. Mais puisque tu balances... 😜
14:16
En tout cas, cela me permet de confirmer la variété (car le vendeur ne semblait pas si sûr que ça !). Évidemment, je ne partagerai pas de matériel végétal de cette variété protégée.
JC
21:25
Jloup Charp
Il y en as a vendre :)
BV
21:48
Benoit Vandangeon
In reply to this message
C'est bon à savoir. Peut être existe t-il une tolérance pour les particuliers ou les pays non producteur ? Car en Espagne, non seulement il faut respecter le COV mais aussi indiquer la traçabilité : l'identification de la parcelle où va être planté l'orogros ...
C
22:22
Camille
In reply to this message
En fait c'est plus vicieux que ça...
Très souvent les variétés "club" développée dans un pays pour une commercialisation professionnelle dans des vergers commerciaux, sont exclusives ai sein de ces derniers pour un accès uniquement pro qui doivent en échanger verser des royaltie lors du paiement du plant ET lors de la vente de fruits.
Les obtenteurs concèdent ensuite éventuellement des licences à l'étranger, où il n'y a pas en l'état ou pour des raisons climatiques de gros potentiel de développement commerciale, pour continuer d'engranger quelques royalties.

Dans le genre, il y a des variétés exclusives chez Escandres en France par exemple, accessibles uniquement aux pros ayant de gros vergers commerciaux en France, qui sont pourtant vendues librement dans des pays de l'Est de l'Europe aux particuliers.

Le pire ? Ici il est impossible et interdit de vendre par multiplication ces variétés en France si l'obtenteur ne cède aucune licence à nos pépiniéristes français, mais rien n'interdit d'importer ces variétés par correspondances des pays de l'Est, du moment que le vendeur s'est acquitté des royalties du COV, du fait de la libre circulation des biens en vente sur le marché européen.
Et si un pépiniériste français fais le relais là-bas, il peut même faire de l'achat-revente ici, sans pour autant avoir eu le droit de multiplier lui-même le plant...
K
23:11
Kader
In reply to this message
Ce n’est pas forcément un orogros, il y a plusieurs variétés qui font ces excroissances… j’avais répondu à ton message mais je ne sais pas si tu l’avais vu!

https://t.me/acclimatons/10542
12 June 2023
BV
23:31
Benoit Vandangeon
Kader, le greffon de sapote blanche s'est décidé à pousser !
13 June 2023
K
10:22
Kader
Wow c’est un beau départ en tout cas !!!!!!
BV
10:58
Benoit Vandangeon
Je trouve aussi ! Younghan's Gold a un feuillage bien particulier, ça ne ressemble pas du tout à mes semis. La saison des sapotes devrait bientôt commencer en Espagne. Jorg et Yanick en vendent à partir de juillet généralement.
K
18:00
Kader
Si tu arrives à avoir d’autres noyaux je dis pas non …
18:02
Je viens de remarquer un phénomène bizarre sur une de mes vignes !

J’ai pincé les rameaux qui commençaient déjà à devenir trop longs et les bourgeons latéraux m’ont refait une floraison !!!

Vous aviez déjà vu ça quelque part ?
7p
20:55
73203 ppmimcs
In reply to this message
Je suis étonné de ta question tant ca me paraît évident. Autrefois quand on ébourgeonnait, on prenait le temps de supprimer à la main les départs secondaires (sur les tomates on appelle ça des gourmands mais je ne sais plus sur l'instant pour la vigne).
Si on les laisse ça donne des vrilles et parfois quelques grains de raisin dont le mûrissement est décalé par rapport aux premières grappes (quand ça murit). Quand j'étais gamin on avait le droit de grapillonner après la vendange. On essayait d'en faire du vin mais au mieux ça partait au vinaigre.
Le jus des grapillons immatures servait de base à une sauce (acide)... de mémoire, on disait le verjus.
Là, j'assume un discours de vieux ! Merci de compléter, ou de me dire si je me plante.
20:56
Des 'rameaux anticipés' ou 'secondaires' ?
14 June 2023
P
00:02
Pierre Berlan
Enfin une bonne rincée!
JC
07:16
Jloup Charp
In reply to this message
Bien de la chance... nous ca commence a être bien bien sec
K
10:15
Kader
In reply to this message
Bah j’avoue que je n’avais jamais pris la peine d’étêter les rameaux ou en tout cas pas si tôt dans la saison…
Et je n’avais jamais eu ni vu ce phénomène chez les autres!

La j’en ai pas quelques graines mais de belles grappes, certes elles ne sont pas encore sorties mais vu leur taille, je ne serai pas surpris que en ça donne quelques belles !

On verra bien si elles nouent et ce que ça donne mais merci pour tes éclaircissements
10:18
In reply to this message
Plus poilue?

J’ai remarqué une différence du feuillage avec les semis aussi mais j’ai mis ça sur le compte du fait que j’avais du les semer à l’intérieur … donc pas à la lumière naturelle!

En tout cas bien content de savoir que cette variété est présente en France je ne sais pas, mais dans notre cercle ça c’est sur!!
BV
10:26
Benoit Vandangeon
In reply to this message
Feuille lisse.
J'ai en tout 3 variétés : Younghan's Gold, une variété greffée italienne, tetrameria (de semis et si ça veut bien pousser). Je vais récupérer un SueBelle chez Henri.
Je crois que je suis devenu collectionneur et je lorgne sur ces variétés là :
- https://fruitsandgardening.blogspot.com/2021/11/early-white-sapote-cultivars.html
- https://fruitsandgardening.blogspot.com/2021/11/a-tasting-of-ten-white-sapote-cultivars.html

🤪
K
10:34
Kader
In reply to this message
Ça donne vraiment envie!! Effectivement ça donne envie de toutes les avoir ou en tout cas plusieurs d’entre elles au moins!

Il y a une vidéo sur YouTube d’un américain qui est spécialiste des sapotes blanches il faudra que je la retrouve il donne des conseils de culture et montre plusieurs variétés!!

Tu en as goûté combien jusqu’à présent ?
BV
10:36
Benoit Vandangeon
Dans les années 90 Orkos en importait des géantes de californie (genre 400g) , une tuerie.
J'ai gouté plusieurs du Mexique toujours quand je bossais chez eux.
Depuis, je mange les espagnoles mais c'est clairement inférieur.
K
11:01
Kader
In reply to this message
Ça fait de belles pièces 400gr!!! Cette année je vais me concentrer sur les quelques plants que j’ai pour les mettre en pleine terre à l’automne !

Ça n’a pas l’air compliqué à cultiver cette bête la et ça a un super potentiel pour peu qu’on ait un peu de chaleur !
BV
11:04
Benoit Vandangeon
In reply to this message
Oui, c'est bien plus costaud que nos fruitiers du pays, et les ravageurs ne savent pas encore que c'est bon (enfin, les escargots adorent quand même les fruits...)
Dans le jardin, je mets des sapotes blanches là où les semis de pêchers ont crevé. Y a pas photo c'est moins fragile excepté lorsque le thermomètre s'approche du -6
K
11:52
Kader
In reply to this message
Eh bah alors!! Quand on parle du loup… Devine qui va pouvoir te donner son avis sur le pepino !!
BV
12:20
Benoit Vandangeon
😁
JC
12:31
Jloup Charp
In reply to this message
J'ai eu -8 contre la maison de mon coté j'hésite :)
K
12:37
Kader
In reply to this message
Bon bah du côté des températures basses, je suis à l’abri! J’espère juste qu’il ne va pas cramer l’été! Et que c’est pas trop gourmand en eau!!!
12:41
Je ne sais pas s’il est assez mûr… j’ai envie d’attendre 1 ou 2 jours !
Faut il que le fruit cède un peu sous la pression comme un avocat avant de le consommer?
BV
13:03
Benoit Vandangeon
In reply to this message
Le seul que j'ai trouvé bon, c'était avec la peau fripée et mou
GP
13:29
Gabriel Pays basque
In reply to this message
Je trouve que c'est gourmand en eau surtout jeune. Une fois un peu etabli on peut espacer les arrosages
13:30
Oui il faut que le fruit soit souple au toucher mais surtout parfumé. Je te conseille de le mettre au soleil, j'ai remarqué qu'il sont plus meilleurs
K
14:52
Kader
In reply to this message
Oui comme tous les arbres la première année ! Bon si c’est que ça c’est jouable !

Ça va être moins drôle avec les avocatiers mais bon… il faut ce qu’il faut !


Je vais suivre vos conseils et attendre un peu pour le déguster !
Merci à vous !!
BV
19:17
Benoit Vandangeon
Cinq minutes d'un déluge de vent grêle... Les cuves débordent. Je venais de terminer l'arrosage 😂
7p
19:25
73203 ppmimcs
In reply to this message
Je l'ai traversé en remontant la route d'Alès. Il y a eu un moment apocalyptyque ! 2 km plus loin, rien.
BV
19:28
Benoit Vandangeon
Je retrouve des branches cassées. Ici tamarillo...
7p
19:32
73203 ppmimcs
In reply to this message
La casse c'est toujours désolant. Tu vas essayer de le bouturer ?
BV
19:38
Benoit Vandangeon
In reply to this message
Oui 👍
15 June 2023
BV
08:04
Benoit Vandangeon
Semis OP d'Ettinger : les nervures des feuilles sont rouges, c'est très joli 😏
PH
09:45
Paul Houdet
Le sud de nîmes a reçu la pluie également ?
09:50
Nîmes Garrons (aéroport) (sud-est)
Mer. 14 30.3 °C 17.8 °C 27.2 mm

Nîmes courbessac (nord-est)
Mer. 14 31.5 °C 18.2 °C 4.2 mm
BV
12:44
Benoit Vandangeon
Première grise de St Jean
17 June 2023
K
15:33
Kader
In reply to this message
C’est une figue breva?
BV
19:11
Benoit Vandangeon
In reply to this message
On l'appelle la grise de St Jean, la figue fleur est deux fois plus grosse que la figue d'août.
7p
19:49
73203 ppmimcs
In reply to this message
Alors cette Grise de St Jean ? Tu l'as goûtée ? Ma curiosité vient surtout du fait que chez moi les figues fleurs ne sont pas au rdv cette année. Les quelques premières qui me semblaient molles se sont avérées sèches. Beaucoup sont tombées.
BV
19:51
Benoit Vandangeon
In reply to this message
Dans mon jardin je fais également ce constat. Mais les figues de St Jean d'anciens et valeureux sujets sont très réguliers et leur figues fleurs sont aut top, même cette année.
19:52
J'ai mangé des rondes de Bordeaux qui ont un comportement bifere dans des situations privilégiées
7p
19:52
73203 ppmimcs
J'ai un 'Longue d’Août' (en pot pour faire des clones). Je n'ai jamais goûté une FF potable. Je pense qu'en pleine terre ce serait différent.
BV
19:54
Benoit Vandangeon
In reply to this message
La mienne en pleine terre à peine un tiers des figues fleurs sont comestibles. Je vais le greffer, car en plus c'est une variété pas très productive ni extraordinaire...
7p
19:58
73203 ppmimcs
In reply to this message
Je suis d'accord avec toi. Je ne me suis jamais régalé avec une LDA même d'automne. En figue fleur, je n'ai jamais rien goûté de très convainquant, à part 'de Marseille' (creuses cette année).
20:00
In reply to this message
Il semble que cette LDA est incontournable dans le catalogue dun pépiniériste... Tout le monde la connaît, la fameuse figue banane... bof, bof...
BV
20:09
Benoit Vandangeon
In reply to this message
Oui. J'en ai parfois mangé des bonnes, mais sur des arbres assez âgés. Cette année je suis un poil déçu par les figues fleurs qui sont un peu aqueuses. La forte pluviomètrie n'est peut être pas étrangère à ce constat ?
7p
20:19
73203 ppmimcs
In reply to this message
Ou la longue sècheresse de cet hiver ?
20:27
In reply to this message
Je veux dire par là que le développement ne s'est sans doute pas bien fait pendant cet hiver sec et toute l'eau est arrivée tardivement et tout d'un coup.
BV
21:04
Benoit Vandangeon
In reply to this message
J'irai voir ces prochains jours un vieux longue d'août pour confirmer ou non ?
18 June 2023
BV
V
22:01
Vincent
Oui bifere; je peux t’avoir une bouture seulement faut qu’on arrive a se croiser ^^
19 June 2023
BV
09:47
Benoit Vandangeon
09:48
Je trouve que quinta dos ouriques est un site de semence sérieux.
Carica lanceolata 20 euros les cinq graines... Ça fait mal !
AB
12:03
Anne-Cécile B
In reply to this message
Je vois qu'il y a différentes passiflores alors que dans le commerce on n'en trouve souvent qu'un variété ou deux (jaune ou rouge).
Laquelle est préférable ? J'envisage d'en planter/semer, mais n'a la place que pour un pied.
BV
12:24
Benoit Vandangeon
In reply to this message
Ils ont des variétés edulis (le vrai fruit de la passion) dont la souche résiste très bien au gel. Il faut regarder les descriptions sur leur site (sur mobile le site n'est pas optimisé, c'est pour cela que je ne peux pas te répondre précisément tout de suite ☺️
AB
13:49
Anne-Cécile B
OK merci 💐 je vais aller voir et si quelqu'un a un retour gustatif : you're welcome! ☺️
BV
15:29
Benoit Vandangeon
Tu es dans quel climat ?
L
16:20
Lancelot
16:20
16:21
Tentative de marcottage après greffage et etiolation, on verra ce que ça donne! 🤞
B
16:30
Boris
Les amélanches commencent à mûrir en haute Correze 😎
16:30
16:33
Et première floraison au bout de 7 ans pour cet arbre 😅 , il a gelé les 3 premières années et on dirait que maintenant c'est parti 😎
16:33
16:34
Ça c'est de l'acclimatation 🥳
7p
18:24
73203 ppmimcs
In reply to this message
Est-ce que tu connais le nom du cultivar ?
JC
18:38
Jloup Charp
In reply to this message
Sympa !
BV
19:28
Benoit Vandangeon
In reply to this message
Tu penses attendre combien de temps ? Quels sont les signes extérieurs de reprise ? A l'obscurité totale, ou ombre ?
L
19:37
Lancelot
In reply to this message
Aucune idée pour le temps d’attente, c’est pour ça que j’ai utilisé des bouteilles transparentes. Histoire d’avoir une idée.
Je l’ai ai mis a obscurité total pendant environs 3 semaine après la greffe
19:39
In reply to this message
J’ai aussi fait 2 petites entaille longitudinale et ajouter un peu d’hormone
Y
19:54
Yan
In reply to this message
🤞🤞🤞
19:55
In reply to this message
Moi à peine murire tt bouffer par les pigeons 😡
BV
20:01
Benoit Vandangeon
In reply to this message
Les espagnols y arrivent bien, cela montre que c'est possible. Maintenant que la faisabilité est établie il faut faire du reverse engineering pour connaître la méthode 🙄 il faudrait faire un stage chez brokaw 😊
L
20:15
Lancelot
In reply to this message
Ah ça serait top de faire un stage là bas c’est claire!
P
20:25
Pierre Berlan
4_5834922674609982843.pdf
Not included, change data exporting settings to download.
67.5 KB
20:26
Je l'ai traduit en français si ça vous intéresse.
20:27
4_5978775697882090973.doc
Not included, change data exporting settings to download.
184.0 KB
GP
21:10
Gabriel Pays basque
In reply to this message
Ls graines sont humides ou sèches ? Belle future collection !
L
21:18
Lancelot
In reply to this message
Merci beaucoup, j’ai suivis ce protocole, sans l’anneau de ligature et sans pouvoir contrôler l’exact taux d’iba
P
21:41
Pierre Berlan
In reply to this message
J'ai trouvé ça qui content de l'IBA. J'essaierai peut être l'année prochaine pour avoir de l'Aravaipa sur ses propres racines: https://www.growshops.fr/fr/engrais-growth-technology/34294-engrais-gel-de-bouturage-clonex-50-ml-growth-technology-5025644433507.html
B
21:45
Boris
In reply to this message
L'étiquette est tombée mais de mémoire , prince William ou Thiessen
L
21:48
Lancelot
In reply to this message
Oui mais on ne connaît pas le pourcentage exact…
P
22:01
Pierre Berlan
In reply to this message
Sur la boite on voit marqué 0,33% ou 3,3gr/litre
20 June 2023
BV
08:03
Benoit Vandangeon
In reply to this message
Sèches, espérons qu'elles aient encore un pouvoir germinatif ! Pour les passiflores j'ai remarqué que cela pouvait passer. Les papayes c'est probablement moins sur...
K
12:14
Kader
In reply to this message
Bravo!! Pour l’instant 10/10 sur le protocole !!!! Il est juste un peu petit encore pour que tu puisses avoir suffisamment de place pour mettre la Marcotte à moins que tu aies déjà prévu un dispositif pour lequel c’est suffisant !!

Hâte de voir la suite !!!!


PS : j’étais tellement pris et excité en voyant la première photo que j’ai pas regardé la deuxième !! 😭😭😭

C’est la méthode inventée par Froelich qui a été « améliorée » pour les pépinières avec des tubes de marcottage en l’air soutenus avec des fils de fer… je trouve ça a un peu cassé gueule et tu auras moins de problèmes avec la tienne d’autant que tu va pouvoir voir poindre les racines !!

Tu as mis une hormone en pratiquant des incisions ?
BV
12:49
Benoit Vandangeon
Dalmatie
12:50
Énormes comme toujours
L
20:25
Lancelot
In reply to this message
Yes je croise les doigts ! Oui j’ai mis de l’hormone en faisant des incisions maintenantil’faut voir si j’en ai pas mis trop et que ça favorise un cal plutôt que des racines
21 June 2023
BV
12:47
Benoit Vandangeon
12:47
C'est la pleine saison du wampee... À Melbourne
12:54
Déjà la fin de la saison des mangues au Cameroun
12:58
La saison se poursuit ensuite au Sénégal, puis Israël et Espagne
22 June 2023
T
07:06
Thierry BOCCARD
In reply to this message
Le mien se décide enfin à faire quelques nouvelles feuilles.
BV
08:18
Benoit Vandangeon
In reply to this message
Le mien ne pousse pas et il m'inquiète beaucoup. Ca doit être calcifuge...
P
08:40
PermaPhil
In reply to this message
Le mien a cramé suite au rempotage avec un compost trop fort mais il semble redémarrer...
Y
08:52
Yan
In reply to this message
Le wampee est un litchi ?
BV
09:08
Benoit Vandangeon
non, un rutacées que les amoureux d'agrumes snob à tord 😉
L
09:28
Lancelot
In reply to this message
C’est pas très rustique ça non?
BV
09:30
Benoit Vandangeon
-4 en théorie, peut-être plus. Peu d'info fiable sur cette plante. Il y a un gros déficit de connaissance et d'expérience... à combler ?
L
09:31
Lancelot
Intéressant, tu l’as fait partir de semis?
BV
11:03
Benoit Vandangeon
In reply to this message
non, nous avons acheté des plants en Italie (nous sommes 3 ou 4 du group telegram)
JC
12:16
Jloup Charp
In reply to this message
Connais pas dutout. Ça se greffe sur poncirus ?
P
12:50
PermaPhil
In reply to this message
Pas testé mais en théorie c'est compatible avec les agrumes puisque même famille... Lorsque le mien aura repoussé je tenterai une greffe.
BV
13:19
Benoit Vandangeon
In reply to this message
Oh lalala, je vous trouve bien optimiste ! Wampi (Clausena lansium) doit se greffer avec d'autres clausena. Il doit y en avoir dans l'aire de culture au nord ...
Mais l'affinité avec les citrus, là je suis plus pessimiste que vous 🙄
K
15:13
Kader
Benoit Bon bah j’ai enfin ouvert et goûte le pepino apres l’avoir mis au soleil pendant environ une semaine pour le faire mûrir….

Il ne s’est pas flétri comme on me l’avait conseillé ni même ramolli! Il est même resté assez ferme!!

Je l’ai coupé et goûté alors qu’il avait l’aspect d’un concombre mais je ne pouvais plus attendre j’avais vraiment trop hâte….

Et le résultat : décevant !

Vraiment ça a le goût d’un melon pas mûr…. Ou d’un concombre un peu sucré

Même la texture n’était pas agréable !
D’autant que j’avais un melon canari qui m’attendait juste à côté….

Je vais essayé de reprendre un la prochaine fois plus mur et je ferai en sorte de le goûter quand il sera mûr !!
xL d invited xL d
BV
18:15
Benoit Vandangeon
In reply to this message
Oh mince !!! Quelle déception. Je vois plusieurs pistes :
- il existe des variétés plus ou moins bonnes crue,
- les gens qui disent que c'est bon on un drôle de palais...
-comme pour les tomates, cultivé dans une certaine terre ça fait des beaux fruits mais un peu incipides ?
18:17
Je pencherais pour la première car fruit addict avait dit qu'ils étaient déçu du fruit jusqu'à ce qu'on leur donne la bonne variété....
18:18
Sinon, avis aux amateurs de semences exotiques, je vais peut être avoir des sapotes blanches ce weekend !
JC
18:19
Jloup Charp
In reply to this message
Si tu en as quelques une j'aimerai essayé le semis pour en mettre sous serre ici. Si tu veux birn biensûr :).
BV
18:20
Benoit Vandangeon
A propos, comment se porte le pringlei ?
JC
18:21
Jloup Charp
In reply to this message
Je fais une photo quand je passe dans la serre. Il stagne a cause des limaces qui mangent toutes les jeune pousses. J'attends un filet en cuivre pour lui notamment.
BV
18:26
Benoit Vandangeon
In reply to this message
Ici ça pousse pas vite non plus. Et ils n'aiment pas du tout le rempotage.
18:27
In reply to this message
Bienvenue !
23 June 2023
BV
14:31
Benoit Vandangeon
Les sapotes blanches qui tombent avec le mistral ne sont pas encore mûres et n'ont pas encore de graines.
xd
15:01
xL d
Merci ! Je suis intéressé par le lancement de culture de cactacée pour produire des fruits. J’espère être au bon endroit….
BV
17:43
Benoit Vandangeon
In reply to this message
C'est pas forcément l'endroit le plus adapté pour la culture de cactus. Si tu n'y trouves pas ton compte, il y a le forum d'acclimatons. Un membre du nom d'Alexandre (34), cultive et commercialise de délicieuses figues de barbarie, il a du kubo et d'autres cactées comestibles rares...
JC
20:04
Jloup Charp
In reply to this message
Avec et sans sa protection
20:04
In reply to this message
20:06
Goyave fraise jaune en fleur et dwarf orinoco et mékong qui repartent :)
20:06
20:06
BV
20:49
Benoit Vandangeon
In reply to this message
Ça pousse pas vite, c'est normal, seul celui que j'ai donné à Henri pousse bien.
20:50
In reply to this message
Génial : les exotiques étaient en serre froide ? Démarrage un peu tardif, mais super quand même 🌞
L
20:50
Lancelot
In reply to this message
Au fait comment c’est derouler ton essaie de boutturage d’avocatier ?
20:50
In reply to this message
Il t’en resterai un par hasard? Ou graine?
JC
20:51
Jloup Charp
In reply to this message
C'est surtout qu'il sest fait mangé deux fois ses pousses par les escargots donc protection spéciale maintenant :)
BV
20:54
Benoit Vandangeon
In reply to this message
Désolé, j'en ai plus, en revanche ça doit se bouturer, dans cinq ans quand cela aura poussé de dix cm je t'enverrai une bouture 😂
20:54
Je vais demander des graines à nouveau 😉
JC
20:58
Jloup Charp
In reply to this message
Je regarde ça ce soir ou demain et je fais des photos :). Les branches sont toujours vertes en tout cas pour une partie.
21:00
In reply to this message
Pareil je peux te réserver une bouture quand cela sera possible
BV
21:21
Benoit Vandangeon
Avocado 'Day' (Persea americana) | Avocado Trees & Plants for Sale
https://www.logees.com/avocado-day-persea-americana.html
21:21
Vous pensez vraiment que cet avocatier fructifie facilement en pot ?
24 June 2023
Carlit invited Carlit
BV
21:33
Benoit Vandangeon
In reply to this message
Bienvenue !
Valérie O invited Valérie O
7p
22:02
73203 ppmimcs
22:06
Encore de la passion, transmise par des personnes passionnantes. Merci Joseph (et sa compagne) et merci Benoît, l'instigateur de ces bons moments !
Photo : un bourgeon à fleurs de pistacchia vera greffé sur térébinte.
BV
22:08
Benoit Vandangeon
In reply to this message
Merci beaucoup également à toi. La prochaine visite Abdel et les 1000 variétés de figuiers ?
7p
22:09
73203 ppmimcs
22:10
Térébintes de semis, prêts à planter pour être greffés.
BV
22:11
Benoit Vandangeon
In reply to this message
Bienvenue Valérie, intéressantes expérimentations. J'espère que ton avicatier arrivera à bien s'installer. Attention aux coups de soleil : les jeunes pousses d'avocatiers ont souvent du mal les premiers étés ! 🌞🌞🌞
K
23:31
Kader
In reply to this message
Faudra que je re regarde la vidéo pour voir si les fruits étaient comme les miens ! Après encore une fois il n’avait pas l’air très mûr!

Des amis m’avaient raconté en avoir gouté qui venaient d’Algérie et m’axaient dit que ça goûtait comme du melon à s’y méprendre !
L
23:43
Lancelot
In reply to this message
Ça marche , merci 😂
25 June 2023
TT
00:36
Tic Tac
Bonjour à tous,
quelqu’un a-t-il déjà pratiqué le marcottage du feijoa avec succès?
J’ai vu des vidéos sur yt qui recommandent le marcottage aérien mais comme le mien (qui a 5 ans et fleurit pour la première fois) a des jeunes branches très basses et non lignifiées, je me demande si ça peut se jouer de juste les maintenir au sol avec une agrafe et de recouvrir de substrat, comme une vulgaire ronce quoi 🙂
Vous pensez que ça peut aider d’écorcer la partie enterrée ou c’est pas la peine si la branche est pas lignifiée?
Merci bcp 🙂
BV
11:22
Benoit Vandangeon
In reply to this message
Oui, en 2004 quand j'habitais gaillac, j'ai mis sous terre une branche basse, elle avait raciné et j'ai obtenu une belle plante lorsque je l'ai affranchi. Je crois que j'ai tenté de renouveler sans succès.
NB Je n'avais pas enlevé d'écorce.
TT
12:05
Tic Tac
Merci beaucoup pour la réponse! Vous vous souvenez à quelle époque de l’année c’était et combien de temps àpeu près ça avait pris?
12:08
et merci d’avoir créé cet espace c’est une véritable mine d’or pour moi 🙂
BV
19:32
Benoit Vandangeon
In reply to this message
Non, malheureusement je ne me souviens plus.
BV
20:22
Benoit Vandangeon
Pas beaucoup de sapote blanche...
VO
21:33
Valérie O
In reply to this message
Je ne connais pas du tout ce fruit…j’aimerais bien le découvrir 😊mais il y a de beaux avocats et ce fruit orange qu’est-ce que c’est ?
En tout cas :un beau panier 😃
BV
21:47
Benoit Vandangeon
Une fois par mois Jorg vend des produits d'Andalousie. Les sapotes blanches (le fruit vert !) Ce sont les premières, elles ne sont pas mûres. Et le fruit orange c'est une petite papaye d'Andalousie.
21:48
Les avocats sont restés un an sur l'arbre et sont très bons...
VO
22:01
Valérie O
Merci pour toutes ces infos , 🙏
26 June 2023
7p
08:35
73203 ppmimcs
Biricoccolo (Abricot-Prune Sélection)
08:35
Abricot-Prune Selection ou Birricocolo. Première fructification. La peau est légèrement acide. La chair est adhérente au noyau, agréable, texture plus proche de la prune que de l'abricot. Pas trop de sucre. Sympa sans être fabuleux...
P
08:42
PermaPhil
In reply to this message
Ils sont déjà mûrs ?! Cool ! Tu as testé d'autres variétés ?
7p
08:47
73203 ppmimcs
Oui murs,
Non, je n'en je nen ai pas dautre, première expérience. Le greffon vient de chez un copain pepi origine pépinière du Bosc (de l'époque de Raphaël).
BV
12:29
Deleted Account
Coucou tout le monde, j’espere que vous allez bien.

Je me demandais, on parle surtout plantes d’acclimatation fruitière mais est-ce que cela vous intéresserait de parler aussi plantes complètement alimentaire ou médecine alternative des choses comme cela, avez-vous de tels plantes s’il vous plaît ❓?❔
S
20:42
Sébastien
In reply to this message
Oui moi. Je suis en Savoie à 600m d'altitude et cette année (en pot pour plusieurs raisons) je cultive:
En zingiber: Gingembre commun, Moyga, Galanda, curcuma, finger root.
Des châtaignes d'eau chinoise (pas les envahissantes)
Et du souchet.
Voilou
BV
21:35
Benoit Vandangeon
In reply to this message
On m'a donné des graines de moringa. Ça fait une belle petite plante en pot. Je crois que cette plante est très utilisée dans la médecine indoue ?
21:36
Il y a aussi cassia fistula, mais c'est encore plus frileux !
L
21:36
Lancelot
In reply to this message
Même en pleine terre, ça repart de la souche chaque année 😉 le développement est assez impressionnant
BV
21:38
Benoit Vandangeon
In reply to this message
Je ne sais pas si je vais "gaspiller" le peu d'emplacement protégé pour une plante qui ne produit pas de bons fruits ?
L
21:39
Lancelot
On peut manger les feuillle, c’est un super aliment, mais si tu as pas de place c’est vraie qu’en pot c’est une bonne solution
BV
21:41
Benoit Vandangeon
Je passe demain une commande de graines de Luc garcinia et de Casimiroa tetrameria du Mexique pour les intéressés. (3€/p)
K
22:24
Kader
In reply to this message
Ça produit une abondance de feuille qu’on peut manger en salade ou en infusion ou faire sécher pour en faire de la poudre! Il n’est pas appelé l’arbre miracle pour rien…. Il a tellement de vitamine que je ne comprends pas qu’il ne soit pas plus connu!

Je compte en mettre partout sur mon terrain ! J’en ai 6 qui poussent pour le moment et mon seul regret c’est de ne pas l’avoir fait avant !

Ça sert pour le mulch, de fourrage, de complément alimentaire, ça fait de l’ombre, c’est extrêmement mellifère, et ça repousse à une vitesse incroyable …. Et c’est pratiquement increvable !!
22:29
Deleted Account
In reply to this message
Oui effectivement. Très jolie.
BV
22:29
Benoit Vandangeon
In reply to this message
Merci pour cette éloge au moringa. J'ai bien fait d'en conserver un ! ❤️
22:30
Deleted Account
Je connaissais mais j’avais oublier ses vertus
22:33
En ce moment je tente de faire pousser du Pueraria ( Kudzu ) et de la Fallopia multiflorum ( he shou wu ) ce sont leurs tubercules qui sont utilisé en complément alimentaire. Beauçoup de plantes d’ornements ont des propriétés intéressant.

Je m’intéresse aussi au thé immortel je sais plus non exacte.

Enfin voilà, savoir si vous connaissiez un peu.

Les deux premières sont de l’envahissante mais j’aime bien ce genre de plantes 😁
K
22:51
Kader
In reply to this message
Tu peux le garder en buisson ou en arbre! Il (plus que) tolère la taille… on peut bouturer des très grosses branches qui prennent racines en 15 jours ! Il suffit juste de creuser un trou assez grand et profond pour que le nouveau tronc tienne en place….

En terme de valeurs nutritionnelles, il est utilisé pour combattre la malnutrition et c’est peu dire :

Il contient 90 nutriments et 46 anti oxydants… et à poids égal il contient
7 fois plus de vitamine C que les oranges, 10 fois plus de vitamine A que les carottes, 17 fois plus de calcium que le lait, 9 fois plus de protéines que le yaourt, 15 fois plus de potassium que les bananes et 25 fois plus de fer que les épinards

Les feuilles (selon moi) ont le goût des fèves ou des petits pois frais suivi d’un piquant (faut aimer manger épicé)…

Voilà !

Oui j’ai des actions dans le moringa pour ceux qui se poseraient la question (non je rigole, mais si ça existait j’en prendrais)!! 🤣🤣🤣
JC
23:08
Jloup Charp
In reply to this message
Un des deux résiste au froid ?
23:10
In reply to this message
Et ça résiste a combien pour souche cette petite bombe nutritionnelle ?
27 June 2023
BV
07:52
Benoit Vandangeon
In reply to this message
Casimiroa tetrameria = casimiroa edulis avec feuilles duveteuses et fruits jaunes et gros.
Luc Garcinia = résistance du carambolier environ
JC
07:58
Jloup Charp
Je veux bien tenter 5 ou 6 graines de tetrameria
BV
08:49
Benoit Vandangeon
In reply to this message
trop tard, j'ai passé commande, je te propose de t'envoyer le contact mexicain, dès que j'ai reçu ma commande ?
L
08:51
Lancelot
In reply to this message
Je dirait -8 si la souche est un peu paillé
BV
10:16
Benoit Vandangeon
Voici le Moringa en pot
S
10:45
Sébastien
Est-ce que quelqu'un cultive des capucines tubéreuses et si oui avec quelle exposition. Je trouve tout et son contraire sur internet et j'ai du mal à garder les miennes.
C
10:49
Camille
In reply to this message
Hello, je n'en ai pas, mais j'ai vu de tout en la matière...
JC
10:51
Jloup Charp
In reply to this message
Mince ok merci :)
S
10:53
Sébastien
In reply to this message
Chez moi c'est très capricieux. Plein soleil ça ne marche pas, mi-ombre à peine mieux. Pied à l'ombre tête au soleil même chose :-/
C
10:55
Camille
In reply to this message
Tu as pensé aux deux autres facteurs clés ?
10:56
Le pH du sol, et sa capacité de rétention d'eau/réserve utile... Et si jamais t'es près de la mer, tu peux rajouter en 3ème la salinité du sol...
10:59
Les capucines tubéreuses sont originaires des Andes, elles sont plutôt acidophiles (6 à 7), et apprécient les sols riches en matière organique.
S
12:34
Sébastien
Merci Camille,
Je les cultive en pot avec du terreau et je vie en Savoie.
C'est la troisième année que j'en fait et ça ne fonctionne toujours pas. Y'a un truc que je fais mal mais je ne trouve pas quoi. Le composte n'est jamais le même, j'ai changé l'orientation, je paille... rien y fait...
BV
12:52
Benoit Vandangeon
Variété de figue fleur , probablement la meilleure à Nîmes ?
12:52
12:52
12:53
On pourrait penser à un mélange de longue d'août et de Dalmatie...
B
13:17
Boris
Je n'ai pas pu vous faire une photo mais j'ai observé aux jumelles : un couple de bouvreuil qui se gavaient de pucerons vert sous les feuilles d'un de mes pruniers ! Leur bec était vert 😂 ils ont passé 3 min , plus efficace que les coccinelles 😎
13:18
Je n'avais jamais vu ça avant ! j'attendais les coccinelles avec impatience
JC
13:21
Jloup Charp
In reply to this message
Étonnant c'est censé etre surtout les bourgeons eux
B
13:22
Boris
C'était impressionnant 😃
13:28
Et aussi mon Topa Topa qui avait pris -9 en décembre et que je croyais mort ! Il semble repartir 😳 j'ai bien fait de le laisser dehors n'ayant pas eu le temps de le composter 😂
13:28
13:28
xd
15:31
xL d
In reply to this message
Merci ! C’est quoi ses coordonnées ou son pseudo sur le forum? Sur le forum pas trop de post sur le koubo….
L
20:50
Lancelot
Ça fait rêver ta dernière vidéo Benoit!
BV
21:34
Benoit Vandangeon
Oui, je trouve que cet ami a réussi un bon équilibre entre fruitiers du pays et exotique. Il n'a pas beaucoup de temps, mais fait déjà beaucoup dans son jardin !
28 June 2023
C
01:02
Camille
Avec le temps que me prend mon BPREA le jardin se transforme en jungle... À l'exception de la partie pépinière qui est la seule pour laquelle je peux prendre un chouilla de temps pour gérer à mesurer que nécessaire...
01:02
01:02
01:02
01:02
01:02
01:02
01:02
01:02
01:02
01:02
01:02
01:02
01:02
01:02
01:02
01:02
01:02
01:02
01:02
01:03
01:03
01:03
01:03
01:03
01:03
01:03
01:03
01:03
01:03
01:03
01:03
01:03
01:03
01:03
01:03
01:03
01:03
01:03
01:03
01:03
Par contre, ça grouille de biodiversité, partout !
JC
10:38
Jloup Charp
Salut tout le monde j'ai un projet de plantation qui va vous plaire : je bosse en complément depuis quelques années dans un potager historique de chateau proche de chez moi entouré de murs avec des serres a l'anciennes avec batiment de rangement integré le grand luxe qui serait quasiment sans gel l'hiver. Une idée de ce l'on pourrait mettre dedans ? On est juste limité par la taille (2m50 3m) ( Je pensais manguier, fruit de la passion, carambolier, agrumes et dwarf orinoco. D'autres idées ?
10:39
10:39
10:39
10:39
10:39
10:39
10:39
C
10:59
Camille
Hello à tous ! je viens de passer l'épreuve finale ! Formation BPREA achevée !! 🥳
B
13:54
Boris
In reply to this message
J'aurai dit litchi 😬
BV
14:57
Benoit Vandangeon
In reply to this message
Pour le hors gel tu as l'embaras du choix : kwai muk, jack, luc garcinia, pouteria (viridis, lucuma...), sapotille, caimito, corossol, biriba, pomme cannelle, macadamia, jaboticaba, gandaria...
14:59
In reply to this message
ca fait rêver !
C
15:15
Camille
In reply to this message
Superbe ! Rajoute un dwarf namwah aussi ^_^
JC
15:37
Jloup Charp
In reply to this message
Ca devient tout ca aussi non ?
15:37
*gros
15:38
C'est dans les serres le hors gel
BV
16:14
Benoit Vandangeon
In reply to this message
Tant qu'à faire, dwarf Brazilian ? Gustativement c'est top.
16:15
In reply to this message
?
GP
16:31
Gabriel Pays basque
In reply to this message
Jamais goûté mais j'ai acheté l'an passé un dwarf brazilian qui a tenu sans une égratignure ni de feuilles jaunies hors gel cet hiver. C'était le premier a repartir avant tout les autres (y compris Dajiao) Je l'ai mis en pleine terre et il se porte plutôt bien. J'ai hâte de goûter !
JC
16:37
Jloup Charp
In reply to this message
Grand et gros
BV
17:12
Benoit Vandangeon
In reply to this message
Wow, j'ai mangé à Madère ce qui doit être de la "banane figue". En théorie Brazilian dwarf est très proche niveau goût. Si je devais comparer je dirais que la saveur de cette banane ressemble à des crêpes à la confiture d'abricots ☺️
C
21:34
Camille
Jloup des goyaviers fraise, aussi ! =D
JC
21:42
Jloup Charp
Oui effectivement :)
21:43
Pour préciser ce batiment la est dans la serre
21:43
21:45
Cette partie la était une serre chaude historiquement avec un poele. Un des marquis de ce chateau était agronome est il ont écrit notamment un document sur la culture du melon pendant une époque où il était très exotique chez nous :)
30 June 2023
7p
08:16
73203 ppmimcs
Une vraie bonne pluie sur le nord du Gard ce matin... Les ronchons se plaindront bientôt du mildiou, mais qu'est-ce que ça fait du bien !
V
08:32
Vincent
40mm ici a Gap c’est derrière 24h; ce début d’été s’annonce très vert par ici :)
08:33
In reply to this message
La chance :) papayer c’est esthétique et pas trop grand
Y
08:59
Yan
In reply to this message
Super project en tt cas tu vas t'éclater😁😁
JC
10:02
Jloup Charp
In reply to this message
Oui ça va etre sympa :) on verra le budget quil ont
Y
12:17
Yan
In reply to this message
N'hésite pas à envoyer des news et des photos😁
C
20:45
Camille
La Noah, c'est un monstre 😁
20:45
20:45
20:45
20:45
1 July 2023
BV
11:35
Benoit Vandangeon
Quelques figues fleurs Marseillaises sont mûres !
7p
13:49
73203 ppmimcs
In reply to this message
Une de mes préférée... J'ai suand même un doute sur le nom, à moins d'une confusion ancienne de ma part. J'ai mémorisé que "Marseillaise" est unifère... et "De Marseille", bifère.
BV
14:34
Benoit Vandangeon
La mienne est unifère (elle fait une ou deux figue fleur toutes les décennies).
K
14:43
Kader
J’avais jamais gouté les figues bifères!!! C’est doux c’est tellement bon et sucré!!! Je comprends pas que les gens n’en plantent pas plus ici…..
BV
17:40
Benoit Vandangeon
In reply to this message
Je les préfère aux figues d'aout car plus juteuses, moins sèches.
Celle que tu as pris en photo doit être sacrément sucrée ! 😋
K
22:21
Kader
Bah…. Ça se vaut!! Ici la figue c’est une raison de vivre et y a quand même de sacrée variétés ! D’ailleurs je pense que c’est pour ça qu’on s’embarrasse pas avec les figues d’août qui sont d’ailleurs bientôt mûres pour certaines !! 😁😁😁

Mais oui pour répondre à ta question elle était bonne! J’en ai mangé une au dessert hier puis j’ai embarqué la 2eme pour vous faire une photo!!! 🤣🤣
2 July 2023
BV
13:56
Benoit Vandangeon
13:58
Une drôle de greffe en anglaise, ils suppriment toute la végétation du PG. Dommage qu'ils ne montrent pas le résultat 🤔
BV
15:27
Benoit Vandangeon
Peut-être faut-il prendre en considération que tout ceci est fait sur de l'avocatier type antillais. Qui semble se bouturer plus facilement d'après certaines sources. Donc peut être pas transposable pour les races Mexicaines/guatémaltèques ?
3 July 2023
C
17:51
Camille
In reply to this message
Grosse surprise de la journée, le noyau d'avocat Topa Topa que m'avait donné Benoît, resté dehors tout ce temps et ayant encaissé l'hiver avec -8°c, germe !!! 😳😳😳
17:52
17:53
Le petit noyau Mexicola qu'il m'avait passé germe aussi !
17:56
Durée de germination sans aucun forçage ni protection, un peu plus de 8 mois.
Juste un substrat toujours humide.
BV
18:45
Benoit Vandangeon
In reply to this message
Et bien, il faut être patient 😊
18:54
Pierre, ton figuier est en train de mûrir !
18:55
P
20:40
Pierre Berlan
20:40
Son géniteur aussi, mais il y aura beaucoup plus de figues à la deuxième vague.
20:46
Future marmelade de Yuzu. C'est mes premiers agrumes " en terre" issus d'un plan greffé par mes soins.
21:00
In reply to this message
Je retiens aussi qu'il ne garde qu'un seul départ de bourgeon si plusieurs prennent, ce que je n'ai pas fait pas jusqu'ici. Mais parfois bien m'en a pris car le premier a séché et les autres ont démarré ensuite.
21:01
Exemple
4 July 2023
Max Engel invited Max Engel
ME
12:38
Max Engel
Salut les jardiniers plein d'espoirs. moi c'est Max passionné des espèces de passiflora, anona et manguifera
je suis localisé entre Cannes et Grasse:
mon projet #1 Obtenir des fruits de la passion géant de passiflora alata, quadrangularis ou decasneana dans les 3 ans.
K
12:55
Kader
In reply to this message
C’est une anglaise simple, non? Les avocatiers se greffe beaucoup comme ça…. Même chez Brokaw je crois que j’ai acheté des arbres de chez eux qui étaient greffé en anglaise simple.

Au sujet de la vidéo, moi j’ai du mal avec ce genre de mec qui te donne plein de tuyaux qui ne servent à rien notamment sur le choix du greffon qui ne prend pas s’il est un peu bosselé , ou que les greffons exposés au soleil prennent mieux, ou que la période de la floraison est néfaste parce que si on choisit son greffon à la bonne période il ne donnera que des feuilles alors que l’initiation florale ou végétative des bourgeons se fait l’annee d’avant en fonction de l’énergie qu’ils ont accumulés)

Tout ça est juste sensé donner l’impression que si tu ne fais pas ça ta greffe ne prendra pas et que le mec sait tout dans les moindres détails et en commentaire des gens qui n’y connaissent rien s’extasie sur du vent !

Le geste de coupe est horrible ! Quand on a un PG on se met au dessus et on tire vers soi avec le couteau serré par les 4 doigts et le pouce verrouillé qui guide le mouvement … pareil pour le greffon on tire vers soi d’un coup! C’est safe et ca fait des coupes très propres et très droites…

C’est vrai que lui enlève les feuilles mais il est en Floride et chez nous les saisons sont plus marquées !

Pour ma part avant je greffais en hiver en intérieur mes plantes qui étaient dans une pièce non chauffée et le fait de retirer les feuilles ne causaient pas de tort parce que l’activité était au ralenti….
Quand je l’ai fait au printemps ça a été une cata ! Alors que justement les arbres reprenaient à fond leur activité que les racines débordaient des pots et dès que je greffais je voyais tout se nécroser!
Parfois le pg crevait d’autres la greffe prenaient mais avec 3 feuilles et demi….


C’est après que j’ai appris que le système racinaire en prenait un coup si tu défeuillais tout! J’avais jamais eu de problème et d’un coup j’avais l’impression qu’on se comprenait plus l’avocatier et moi!

Et puis j’ai compris pourquoi les pepi dont brokaw greffaient toujours leurs avo à presque 1 m du sol mais pas leur clonaux !

Et quand j’ai suivi ce conseil je me suis réconcilié avec les avocatiers !
12:57
Pour le geste de la greffe voila de quoi je parle …. Simple précis efficace !

https://youtube.com/shorts/mg4u__uM_CY?feature=share
12:59
In reply to this message
C’est sûrement pour avoir une pousse bien forte qu’il guide le long d’un tuteur ! Après les gens sont libres de le tailler comme ils veulent !
BV
13:04
Benoit Vandangeon
In reply to this message
Salut ! Bienvenue.
Beau projet et belle situation géographique !
13:09
In reply to this message
Ce sont des passiflores frileux, tu veux les cultiver sans protection ?
ME
13:12
Max Engel
In reply to this message
j'ai pas mal de configuration établies. murs en béton , véranda, sous des agrumes adultes ... plantes sur des talus, sol amendé au gypse, sable de rivières, tourbe,
j'ai la chance d'avoir beaucoup de plantules suite à mes voyages en colombie et j en ai déjà fais poussé à Malaga ( j avais fais des long commentaires sur les manguiers de malaga sur ton post )
BV
13:16
Benoit Vandangeon
J'ai du passiflora edulis en pleine terre depuis deux hivers, donc dans ton coin probablement plus propice ça me semble cohérent.
ME
13:20
Max Engel
In reply to this message
....les micro climats des alpes maritimes sont plus complexes qu'on ne l'imagine. moi j ai un micro climat à la noix de cajou lol
j'ai eu des pointes à-3 voir -4 cet hiver à quelques reprises
et des journées a plus de 18 juste. après. mon grand citronnier Eurêka en a tellement morflé qu'il en est encore à sa phase végétative post trauma donc toujours pas de fleurs.
BV
13:21
Benoit Vandangeon
Il y a deux semaines j'ai acheté des graines chez https://www.quintadosouriques.com/?s=Passif&post_type=product&dgwt_wcas=1

Je me souviens plus des variétés que j'ai acheté. Le passiflore Tango en tout cas...
ME
13:23
Max Engel
In reply to this message
oui c'est un hybride de P. edulis edulis et edulis flavicarpa.

chez grand frais tu as un cultivar similaire à 15€ les kilos. les fruits viennent du vietnam
BV
13:26
Benoit Vandangeon
👍
La fleur de quadrangularis est superbe, mais je crois que je ne l'ai pas pris car on m'a dit que c'était au dessus de mon climat. J'aurais peut être du essayer quand-même ?
ME
13:26
Max Engel
In reply to this message
j'ai pas mal de plantule si tu veux
BV
13:28
Benoit Vandangeon
Oui ! Il faudra que je retrouve ma liste, il y en a peut-être certains que tu n'as pas ?
Sinon j'ai des graines fraîches de Casimiroa edulis (dans un autre registre).
ME
13:29
Max Engel
13:29
13:29
13:29
BV
13:30
Benoit Vandangeon
Une petite question : est-ce que les passiflores sont fides par semis ? (Car souvent ce n'est pas autofertile)
ME
13:30
Max Engel
la forte grêle en a tabassé
BV
13:30
Benoit Vandangeon
Ils sont très jolis, belles grosses feuilles vertes...
ME
13:44
Max Engel
In reply to this message
souvent greffés : les P. edulis edulis sur des maracuja ( P. edulis flavicarpa ) pour éviter les champignons.
aux antilles sur des pommes lianes ( P. laurifolia)


pour la polenisation (des non hybrides) il faut une plante provenant d une autre graine en général et de la même sous section et encore ( sauf fruit de la passion pourpre edulis edulis ou passiflore ( P. caerulea ). ces dernier la sont auto fertile.

Pour ton hybride d edulis ( cultivar tango ) ,venant de graine il y'aura une légere différence génétique avec le fruit des plantations . pour maximiser le rendement prend toi une P. edulis edulis ou P. caerulea en pot

pour les P. alata, quadrangularis ou decasneana, pollennisation croisée nécessaire entre elles ou avec des plantes de cette sous section nécessaire aussi sinon le rendement est médiocre.
K
13:45
Kader
In reply to this message
Je pense que tu vas être bien ici…. 😁😁😁
13:47
Les passiflores restent bien à la sécheresse en général ?
ME
13:53
Max Engel
In reply to this message
hahah ici des avec des gens qui ont le même rêve :
que le changement climatique redevienne RECHAUFFEMENT climatique ( comme on nous l'avais promis lol )
13:55
oui ca va franchement amon sens après c'est pas une pitaya,
hésite pas sur le drainage
BV
13:58
Benoit Vandangeon
In reply to this message
Au bureau, j'ai planté surtout du P edulis. Mais mon préféré c'est la grenadille (fruit de la passion orange très doux). Je ne connais pas son nom scientifique ?
ME
13:59
Max Engel
P. ligularis
14:00
planquée dans un coin du mur et recouverte de petite feuille pour limiter les radiations solaires
BV
14:01
Benoit Vandangeon
Patrick, j'ai goûté les hybrides abricots/prune . J'ai bien aimé.
Les mûres sont bonnes, j'avais une appréhension car ce type de mûres sont généralement incipides. En revanche celles qui n'étaient pas matures ne m'ont pas plu.
ME
14:01
Max Engel
pour le fun
BV
14:02
Benoit Vandangeon
In reply to this message
Non ! Je croyais que ça crevait à +5°. Je n'ai pas osé... C'est génial. Depuis longtemps qu'il est dehors ? Tu le rentres l'hiver ?
ME
14:04
Max Engel
In reply to this message
plantée fin mai. elle faisait déjà 1,2. hivernée en véranda à +8 mini
hiver dernier à malaga.
14:05
on verra cet hiver mais elle peuvent supporter des courtes gelées dans les andes selon la documention combienne
BV
14:05
Benoit Vandangeon
In reply to this message
Donc elles n'ont pas eu encore le baptême du feu (de l'hiver)
ME
14:05
Max Engel
colombienne*
BV
14:05
Benoit Vandangeon
Génial
14:06
Tu es parti de graines de Grand frais ?
ME
14:08
Max Engel
In reply to this message
je sais plus. celle là de graines ramenée de colombie mais ça marche très bien depuis les semis ou boutures.
son problème est qu'elle n'aime pas les températures au dessus de 25 et à besoin de beaucoup d humidité . une vrai Co**e lol
14:09
en tout cas avais réussi
a voir 1 fruit à Malaga ou bout de 2 ans ( 1 ans pot puis 1 ans terre )
ta liane doit faire au moins 3 mètre pour produire donc taille dans ce sens
14:11
tu devrais t intéresser à la P. maliformis
( coque en fer à la réunion ). délicieux et complément méconnu. même en colombie lol
BV
14:11
Benoit Vandangeon
In reply to this message
25 degré c'est vite atteint...
ME
14:12
Max Engel
P. maliformis qui a tenu des légères gelées aux us et adore la canicule
BV
14:16
Benoit Vandangeon
14:16
C'est bon comme fruit ?
ME
14:18
Max Engel
In reply to this message
meilleur que l edulis pour beaucoup qui on eu la chance de la goûter
pour moi la #1 c'est le fruit de la P. alata.
je tuerais pour en déguster une la !
BV
14:19
Benoit Vandangeon
In reply to this message
Hihihi, je comprends pourquoi on parle de fruit de la passion !
ME
14:23
Max Engel
top fruits de la passion à mon goût que j'ai eu la chance de déguster :

1. P. alata / decasneana / quadrangularis ( dans l'ordre )
2. P. popenovii ( trop compliqué. il faut aller le goûter dans un petit village du sud de la colombie: Timbio )
3. P. ligularis
4. P. maliformis
5. P. edulis edulis
6. P. edulis flavicarpa
7. les passiflore de la sous section Tacsonia genre P. molissima

pas encore goûté la pomme liane : P. laurifolia
BV
14:24
Benoit Vandangeon
In reply to this message
Merci, c'est un univers que j'ai hâte d'explorer !
ME
14:26
Max Engel
In reply to this message
j'ai pas mal de graines si tu veux faire des échanges
K
16:48
Kader
In reply to this message
Je suis d’accord avec toi la grenadille c’est super bon!! C’est très doux comparé au fruit de la passion ! Ça se mange plus facilement seul!
16:50
In reply to this message
Je viens de réaliser que quadrangulata c’est le fruit de la passion géant!!
J’en avais acheté une fois en république Dominicaine ! On m’avait dit que c’était surtout bon pour faire des jus! Je crois que le mien ne n’était pas assez mûr malheureusement …
C
17:28
Camille
C'est la journée des morts qui rescussitent ! 😁
17:29
Poncho, Mexicola de Berlin secte, Mexicola de Benoît, Ifalna, sont en vie !
17:29
17:29
17:29
BV
17:41
Benoit Vandangeon
Que veux tu dire par Berlin secte ?
C'est encourageant 🌞
17:47
In reply to this message
Je me rends compte que j'ai de grosses lacunes au niveau des passiflores. J'avais jetté l'éponge quand l'edulis avait crevé en fév. 2018. Je pense que je vais m'y remettre sérieusement !
ME
18:23
Max Engel
In reply to this message
y'a de belles choses qui se font sur la "scène" de la passiflora avec des hybridation complexe pour des fruitières rustiques ....
les groupes facebook sont plein de ressources
18:25
In reply to this message
oui il doit être bien jaune et mou.
sinon essayé le fruit de la P. alata qui est plus fort en arômes. zéro acidité
ils kiffent au brésil
P
18:31
PermaPhil
Pour continuer avec les passiflores, j'ai Eia popeia et fata Confetto qui fleurissent (encore en pot sous la serre) mais je ne vois pas de nouaison. C'est censé être autofertile non ? Quelqu'un a déjà goûté ?
ME
18:55
Max Engel
In reply to this message
pas mal de réponse sur la P. Fata Confetto. dans le post ci dessous la polenisation reste hasardeuse. génétiquement complexe

https://m.facebook.com/story.php?story_fbid=pfbid0LTYC11p8uME6fiBTzMHEtqoE57JK9YxCCM8q8ixt1HFnYzfx8ifff1CYhcsH9kmXl&id=672910082
P
19:05
PermaPhil
In reply to this message
Merci pour le lien je vais regarder ça de plus près.
K
23:41
Kader
In reply to this message
Je t’avoue que moi aussi!!! L edulis c’est bien celui qui est noir et tout fripé avec une pulpe jaune acidulée et parfumée ??😕
23:48
In reply to this message
Ah oui….. il n’était pas du tout mou!! Par contre j’ai vu les plants chez des dominicains, c’est sympa !!!

Lesquels sont les plus résistants à la chaleur / sécheresse à ton avis?

J’ai une pergola que je compte habiller d’une passiflore comestible ! Je sais que les gens autour de moi on des passiflores caerulea mais je me demande s’il y en a une comestible qui serait aussi bien adeptee sachant que le froid n’est pas un pb… la sécheresse et la chaleur par contre ….
23:49
In reply to this message
Belinsecte ? 🤷‍♂️🤣
5 July 2023
ME
08:35
Max Engel
In reply to this message
part sur
de la P. edulis edulis.
la petite violette sombre standard. elle se frippe quand elle est bien mure mais ça c'est valable pour quasiment tout les fruits de Passiflora.
la P. edulis edulis résiste un peu mieux l sécheresse que les autres fruitières tropicales mais c'est pas une pitaya non plus.
tu es dans quelle zone climatique USDA ?
08:45
j'ai ce plant de cherimoya de semis d espagne. il a environ 2 ans et galère à pousser de manière constante.
je voudrais le mettre en pleine terre contre un mur.
vous pensez que c'est le bon moment ?
BV
09:30
Benoit Vandangeon
In reply to this message
J'ai un cherimoya qui a galéré dans un pot, il galère aussi en pleine terre. En revanche, mes semis ou bien ceux achetés chez brokaw et plantés sans tarder sont de vraies bombes.
Faut-il le planter maintenant ? Ca me choque pas, bien sûr comme c'est un persistant (en théorie) il faut absolument que la motte soit solidaire, sinon cata...
09:31
Joli le manguier !
ME
09:35
Max Engel
In reply to this message
j' en ai deux autre mais qui sont greffés : fino de jete et cumbe qui sont en Grow bag respirant à pomme de terre et ça va
je vais essayer de la planter quand la motte sera sèche ( je suis sûr qu'il redémarrera à ce moment là lol )
09:36
In reply to this message
c'est un Manila ( connu sous le nom
de Carabao aussi ) il a repris mais végète depuis 3 semaines

il y'a quelques variétés ici
09:37
mon plus gros espoir. le Sensation 2 qui a tenu des -3 dans la sierra nevada
BV
09:39
Benoit Vandangeon
In reply to this message
Quand je bossais à Orkos, on importait une petite mangue jaune du Mexique appelée Manilla, acidulée et sucrée rien à voir avec Ataulfo...
09:39
celle de gauche
09:40
In reply to this message
Il a l'air bien protégé celui-là !!!
ME
09:43
Max Engel
In reply to this message
selon un youtubeur de la gamme central en californie : -4 a 45 degrés mais climat sec )
c'est la meilleure option
le truc c'est qu'en europe toit est greffé sur du Gomera 3 ( ou 1 )
09:43
vallée centrale
09:45
In reply to this message
oui au détriment de l'exposition lumineuse.
je lui fabriquerai un toit en polycarbonate alvéolé en octobre et dés miroirs pour redirigé la lumière dans son coin betonné

planté en Mai il fait déjà des pousses
BV
09:45
Benoit Vandangeon
In reply to this message
Manilla : Je me demande si elle ne se reproduit pas fidèlement par semis ?
ME
09:47
Max Engel
In reply to this message
si mes souvenirs sont bons oui :

regarde ça : https://youtu.be/51cn35I_AiE
BV
09:49
Benoit Vandangeon
In reply to this message
Oui, je le connais (enfin, je le suis depuis quelques années). Je suis toujours stupéfié de ce qu'il arrive à obtenir en papayer, manguier et sapotier mamey... Je me demande si il n'a pas un climat un peu plus doux qu'il prétend ?????
ME
09:54
Max Engel
In reply to this message
je pense que c'est surtout plus sec et les l'amplitude thermiques sont plus forte ce qui permet d'emmagasiner en journée avec un fort rayonnement solaire même en janvier et donc plus de chaleur pour limiter la durée du gel en fin de nuit.
09:55
en termes de latitude c'est plus bas aussi donc des journées plus longue en hiver
BV
09:57
Benoit Vandangeon
In reply to this message
Oui cela doit jouer aussi
BV
12:57
Benoit Vandangeon
Devinez de quoi il s'agit ?
ME
14:57
Max Engel
In reply to this message
une forme de fruit de la passion pas encore mûr
BV
16:53
Benoit Vandangeon
In reply to this message
C'était un piège ! C'est une sapote blanche ceuillie trop verte et qui a mal mûrie !
16:54
7p
18:35
73203 ppmimcs
18:35
Jusque-là tout va bien !
BV
19:03
Benoit Vandangeon
In reply to this message
Bien protégé à première vue.
7p
20:36
73203 ppmimcs
Sultane - Figue fleur pres d'Alès (30) - 20230705
20:36
Exxxxxxellente !
20:38
Y
20:48
Yan
In reply to this message
Top pour le dessert miam miam 😁
ME
22:01
Max Engel
In reply to this message
t'es sur c'est pas un topinambour. edulis ?
BV
22:12
Benoit Vandangeon
In reply to this message
😂
Y
22:38
Yan
J'aurais dit passiflore edulis aussi j'avoue 😁
6 July 2023
PH
07:56
Paul Houdet
In reply to this message
Elle a l'air bien grosse ce n'est pas de ton arbre ?
BV
08:52
Benoit Vandangeon
In reply to this message
Jorg, mais pas la qualité de Jorg... Heureusement que je suis tombé dessus : cela aurait dégouté du fruit à jamais les nouveaux venus !
08:54
Max, j'ai reçu une question à laquelle je ne sais pas répondre, comme tu me sembles bien callé en passiflore, peut-être sais tu ?

"pour les passiflores, je galère avec certaines d'entre elles en ce moment : j'ai une fata confetto (magnifique en ce moment mais elle ne forme pas de fruit alors qu'elle fleurit abondement depuis 10 jours). J'ai une incarnata juste à côté (qui a certes trouvé le moyen d'avoir une fleur juste le jour où la fata confetto n'en avait pas). Visiblement, aucun fruit en perspective. Par contre j'ai deux passiflores herbertiana sans aucune autre passiflore à côté qui ont fructifié. Bref, j'ai du mal à comprendre la logique des passiflores en ce moment. Tu as réussi à obtenir des fruits avec ta fata confetto ? J'ai d'autres passiflores (edulis, alata et mollissima mais pas encore de fleurs et je doute qu'elle pollinise la fata confetto)."
ME
09:40
Max Engel
In reply to this message
Voice message
Not included, change data exporting settings to download.
01:32, 337.9 KB