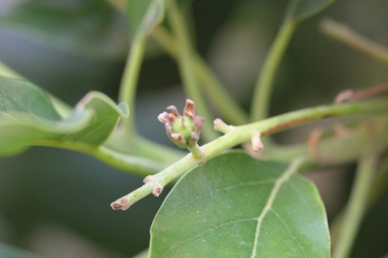
En examinant attentivement mes deux avocatiers, j’ai observé de minuscules fruits en formation ! Ils ne font qu’un ou deux millimètre mais attisent déjà la convoitise ! Espérons qu’ils viennent à terme…

Un espoir d’avoir des avocats cette année ?
par
Commentaires
4 réponses à “Un espoir d’avoir des avocats cette année ?”
-
comment s’est passé la nouaison ? 🙂
-
Pour le moment ça tient bien et ça grossit ! En revanche sur les trois que j’avais repéré, l’arbre n’en a retenu qu’un seul… Je le contrôle chaque matin, aujourd’hui il a la taille d’une petite olive.
Si tu viens à Nîmes, n’hésite pas à passer…
-
-
Tu as de la chance d’avoir des avocats en 2017 : pour moi, zéro. Mais il faut bien que les arbres se reposent après une production 2016 significative. J’avais oublié un Hass dans le feuillage, je l’ai récolté le 10 juillet alors que je les récolte d’ordinaire en janvier février, il était très bon après avoir mûri, 4 jours après cueillette….
-
L’avocat est malheureusement tombé au début du mois de juillet. Le vent ? En tout cas, l’arbre est magnifique et prospère dans le sol riche du centre ville de Nîmes.
-





Laisser un commentaire