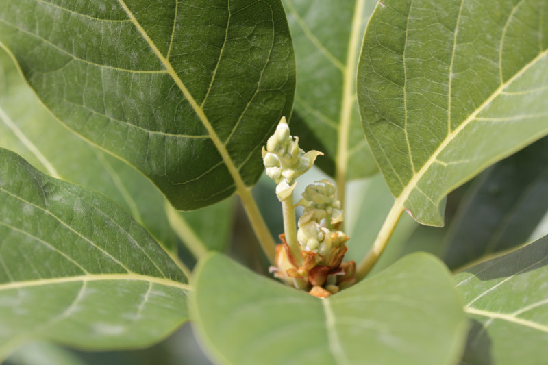
Aïe, Aïe, Aïe, l’avocatier Mexicola du Mazet est impatient de fleurir : les bourgeons floraux commencent à apparaître ici et là. La douceur automnale semble propice et la plante se croit au printemps. Je suis inquiet puisque c’est fort probable que ces bourgeons gèlent en hiver. Je ne sais pas si l’arbre refleurira au printemps du coup ! J’avais déjà remarqué ce travers du Mexicola chez Henri : les fleurs apparaissaient au mois de décembre et l’arbre ne produisait quasiment pas de fruit.

Je ne devrais pas tarder à manger le premier Mexicola de l’année puisqu’un fruit qui est derrière un volet qui claque a son pédoncule noircit et le fruit commence à changer de couleur :

J’ai finalement réussi certaines greffes de Bacon sur Mexicola :

Certains noyaux mis en terre il y a un an commencent tout juste à germer :






Laisser un commentaire